Bauleitplanung der Gemeinde Eschenburg
Bekanntmachung
auf der gemeindlichen Homepage der Gemeinde Eschenburg
Leben & Wohnen – Bauleitplanung
__________________________________________________________________________________
Bebauungsplan „Rommelsberg“, Ortsteil Eibelshausen
Hier: Beteiligung der Öffentlichkeit gemäß § 3 Abs. 2 BauGB
Die Beteiligung der Öffentlichkeit gemäß § 3 (1) BauGB und die Behördenbeteiligung gemäß § 4 (1) BauGB wurden vom 24.03.2025 – 09.05.2025 durchgeführt.
Die eingegangenen Stellungnahmen wurden ausgewertet und, soweit erforderlich, in die Bauleitplanung aufgenommen.
Die Unterlagen der Bauleitplanung werden nun in der Zeit
vom 20.10.2025 bis einschließlich 28.11.2025 (Dauer der Veröffentlichungsfrist)
auf der Internetseite der Gemeinde Eschenburg unter https://www.gemeinde-eschenburg.de/leben-und-wohnen/bauleitplanung veröffentlicht und stehen unter dem Internetportal des Landes Hessen unter https://bauleitplanung.hessen.de zur Verfügung.
Sie können eingesehen bzw. im PDF-Format heruntergeladen werden.
Dies gilt auch für diese Bekanntmachung.
Zusätzlich zur Veröffentlichung im Internet werden die Unterlagen während der Dienststunden mit Publikumsverkehr im Rathaus, Nassauer Straße 11, 35713 Eschenburg, Raum E.05, im oben genannten Zeitraum zu jedermanns Einsichtnahme öffentlich ausgelegt.
Die Einsicht in die Unterlagen kann auch außerhalb der Besuchszeiten nach vorheriger Terminvereinbarung erfolgen.
Folgende Unterlagen werden veröffentlicht: Planzeichnung des Bebauungsplanes, textliche Festsetzungen, Begründung mit der Anlage „Baugrunduntersuchung“, Umweltbericht mit den Anlagen Biotoptypenkartierung, faunistisch-floristische Planungsraumanalyse, Kartierungen und artenschutzrechtlichem Fachbeitrag einschl. „Tabelle zur Darstellung der Betroffenheit allgemein häufiger Vogelarten“, Bestands- und Konfliktplan sowie Bewertungsplan, Eingriffs- und Ausgleichsplan mit Bilanzierung, Fachgutachten Schutzgut Boden und die bereits vorliegenden umweltbezogenen Stellungnahmen.
Damit ausreichend Zeit zur Einsichtnahme und zur Abgabe von Anregungen besteht, wird der Bebauungsplan länger als einen Monat öffentlich ausgelegt.
Die Öffentlichkeit kann Stellungnahmen während der Dauer der Veröffentlichungsfrist abgeben.
Die Stellungnahmen sollten elektronisch an folgende Mail-Adresse abgegeben werden: stellungnahmen@buero-zillinger.de.
Bei Bedarf können sie aber auch auf anderem Wege abgegeben werden, zum Beispiel schriftlich, adressiert an die Gemeindeverwaltung Eschenburg, oder zur Niederschrift.
Stellungnahmen, die nicht fristgerecht abgegeben werden, können bei der Beschlussfassung über den Bauleitplan unberücksichtigt bleiben.
Die Stellungnahmen werden ausgewertet und in nicht-öffentlichen und öffentlichen Sitzungen beraten. Die Verarbeitung der personenbezogenen Daten erfolgt nur im Rahmen des Planungsprozesses und im Übrigen unter Beachtung der Datenschutzverordnung.
Der Bebauungsplan wird für den in nachfolgender Abbildung dargestellten Geltungsbereich aufgestellt:
Die Flächen des Geltungsbereiches liegen in der Gemarkung Eibelshausen, in den Fluren 12 (Gewerbegebiet) und 13 (Erschließungsstraße) und werden wie folgt abgegrenzt:
Im Nordosten: Straße „Unter dem Rommelsberg“
Im Südosten: Wirtschaftsweg, dahinter Gehölzbestand
Im Südwesten: Wirtschaftsweg, dahinter landwirtschaftliche Flächen
Im Nordwesten: landwirtschaftliche Flächen
Folgende umweltbezogene Informationen liegen vor:
1. Umweltbericht zum Bebauungsplan und zur Flächennutzungsplan-Änderung
Im Umweltbericht werden die voraussichtlichen erheblichen Umweltauswirkungen beschrieben und bewertet. Der Inhalt und die wichtigsten Ziele der Bauleitplanung werden benannt sowie anderweitige Planungsmöglichkeiten geprüft.
Der Bestand wird beschrieben und bewertet sowie die Entwicklung des Umweltzustandes bei Planungsdurchführung prognostiziert. Maßnahmen zur Verminderung und Vermeidung des Eingriffes werden aufgezeigt. Hier wird auf folgende Schutzgüter eingegangen:
Boden:
Bodentypen, -eigenschaften, -funktionsbewertungen und -entwicklungsprognosen werden dargelegt.
Der Bebauungsplan betrifft überwiegend landwirtschaftlich genutzte Flächen. Die bodenfunktionale Gesamtbewertung der Böden wird als gering eingestuft.
Die Festsetzung der wasserdurchlässigen Bauweise der privaten Wege und privaten PKW-Stellplätze wirkt sich positiv auf die Bodenfunktionen aus.
Zur Reduzierung vermeidbarer Bodenbeeinträchtigungen ist bei Baumaßnahmen, bei denen in den Boden eingegriffen wird, eine bodenkundliche Baubegleitung einzusetzen.
Das Schutzgut „Boden“ wird durch die Befestigungen beeinträchtigt. Diese Beeinträchtigung wirkt sich ebenfalls nur innerhalb des Geltungsbereiches negativ aus.
Ein Fachgutachten für das Schutzgut Boden wurde erstellt und der erwartete Eingriff bilanziert.
Wasser:
Der Geltungsbereich liegt außerhalb festgesetzter Heilquellen- oder Trinkwas-serschutzgebiete. Die Schutzzone II des WSG TB Süd, Eschenburg-Eibelshausen, befindet sich nördlich in einer Entfernung von etwa 280 m. Aufgrund der Topographie und Lage sind Beeinflussungen nicht zu erwarten.
Das Plangebiet liegt außerhalb festgesetzter Überschwemmungsgebiete im Sinne des Hessischen Wassergesetzes (HWG) sowie außerhalb eines Risikoüberschwemmungsgebietes. Beeinträchtigungen zum nächstgelegenen Überschwemmungsgebiet (hier: Dietzhölze) können ausgeschlossen werden.
Das Schutzgut „Wasser“ wird durch die geplante Bebauung beeinträchtigt, da das Niederschlagswasser innerhalb der wasserundurchlässigen Flächen nicht mehr versickern kann. Diese Beeinträchtigung wirkt sich nur kleinflächig, daher innerhalb des Geltungsbereiches aus. Zur Reduzierung des Trinkwasserverbrauches ist die Brauchwassernutzung festgesetzt worden. Auch ist das Niederschlagswasser zu bewirtschaften: Das abfließende Niederschlagswassers darf durch die Bebauung nicht erhöht werden.
Klima und Luft: Die landwirtschaftlich genutzten Flächen (Acker und Grünland) stellen kaltluftproduzierende Flächen dar, die aufgrund der Topographie (von Ost nach West stark abfallender Hang) als Kaltluftentstehungs- und abflussgebiete einzustufen sind. Sie haben allerdings keine Bedeutung für Siedlungsflächen. Aufgrund der Vielzahl kaltluftproduzierender Flächen in der Umgebung ist von einer insgesamt guten Versorgung des Untersuchungsgebietes und seiner Umgebung mit Kalt- und Frischluft auszugehen.
Das Plangebiet gehört einem Vorbehaltsgebiet für besondere Klimafunktionen an. Diese Funktionen werden durch die vorgesehene Bebauung eingeschränkt. Es kann jedoch davon ausgegangen werden, dass die Auswirkungen nur gering sind.
Tiere und Pflanzen: Der Bestand der Biotop- und Nutzungstypen wird beschrieben sowie bewertet. Ein artenschutzrechtlicher Fachbeitrag wurde erstellt, siehe unten.
Biologische Vielfalt: Erhebliche Beeinträchtigungen der biologischen Vielfalt sind nicht zu erwarten.
Landschaftsbild und Erholung: Fernsichtbeziehungen bestehen, bedingt durch die Hanglage des Plangebietes, genau wie für das bestehende Gewerbegebiet. Das Gebiet hat keine Erholungs- und Freizeitfunktion.
Natura-2000-Gebiete: Das Plangebiet befindet sich im Naturpark „Lahn-Dill-Bergland“. Es liegt außerhalb von Natura 2000-Gebieten, d.h. Fauna-Flora-Habitat Gebiete (FFH-Gebiete) und Vogelschutzgebiete (VSG) sind nicht unmittelbar betroffen. Das nächstgelegene FFH-Gebiet liegt etwa 220 m südwestlich vom Plangebiet entfernt. Ein Vogelschutzgebiet befindet sich in nordwestlicher Richtung in einer Entfernung von etwa 740 m. Auswirkungen auf diese Schutzgebiete sind nicht zu erwarten.
Sonstige Schutzgebiete: Gesetzlich geschützte Biotope nach § 30 BNatSchG befinden sich nicht im Geltungsbereich bzw. in der unmittelbaren Umgebung. Ein gesetzlich geschütztes Biotop befindet sich südwestlich des Plangebietes in einer Entfernung von etwa 200 m. Auswirkungen sind nicht zu erwarten.
Mensch, Gesundheit und Bevölkerung: Wohnbebauung grenzt nicht an. Negative Auswirkungen sind nicht zu erwarten.
Kultur- und sonstige Sachgüter, kulturelles Erbe: Vorsorglich wird nachrichtlich auf die gesetzliche Regelung beim Antreffen von Bodendenkmälern und Einzelkulturdenkmälern hingewiesen.
Eine Eingriffs- und Ausgleichsplanung nach der Hessischen Kompensationsverordnung wurde vorgenommen. Das berechnete Defizit wird durch Entnahme von Ökopunkten aus einem Ökopunktekonto ausgeglichen. Hierüber wird auch der Eingriff in das Schutzgut Boden ausgeglichen.
Als Grundlage für die Ermittlung des Eingriffes und für die Berücksichtigung des Artenschutzes wurden ökologische Erhebungen vorgenommen und Gutachten erstellt.
Die Vögel wurden bei 5-maliger Begehung flächendeckend kartiert. Das Gebiet hat als Fortpflanzungs- und Ruhestätte keine Bedeutung für die Vögel. Brutvögel gibt es im Geltungsbereich nicht.
Auch wurden die Tagfalter und Widderchen sowie die Biotop- und Lebensraumtypen ermittelt.
Es konnten nur zwei ungefährdete Arten der Lebensgemeinschaft der Tagfalter und Widderchen nachgewiesen werden. Auch für diese Artengruppe hat das Gebiet daher nur eine geringe Bedeutung.
Gefährdete bzw. geschützte Pflanzen wurden nicht nachgewiesen. Nach § 30 BNatSchG geschützte Biotoptypen sind ebenfalls nicht vorhanden.
Das Grünland ist insgesamt inhomogen und gestört. Magerkeitszeiger sind zwar vorhanden, die Einstufung als geschützter Lebensraum wäre aber nicht korrekt.
Damit es zu keinen Tötungen zur Brut- und Setzzeit von Amsel und Rotkehlchen kommt, wurde eine Bauzeitenregelung festgesetzt.
Weitere umweltbezogene Informationen liegen aus der Beteiligung der Behörden vor:
- Der Geltungsbereich liegt im Vorbehaltsgebiet für besondere Klimafunktionen, siehe Regionalplan Mittelhessen 2010.
- Wenn eine Grundwasserhaltung erforderlich wird oder durch die Tiefbauarbeiten ein Aufstauen, Absenken und/oder Umleiten des Grundwassers bewirkt wird, ist eine wasserrechtliche Erlaubnis durch die zuständige Wasserbehörde erforderlich. Dies gilt auch für Tiefeneingriffe.
- Die Arbeitshilfe zur Berücksichtigung von wasserwirtschaftlichen Belangen ist bei zukünftigen Planungen allumfassend anzuwenden. Es ist der Bedarf zu ermitteln, sowie Nachweise für Wassersparen und für die ausreichende Deckung usw. aufzuzeigen.
- Eventuelle Starkregen sind planerisch zu berücksichtigen.
- Die Entwässerung sollte im Trennsystem vorgenommen werden. Wenn die Entwässerung im Mischsystem erfolgen soll, ist dies zu begründen.
- Die Einleitung von Misch- oder Niederschlagswasser in ein Gewässer bedarf einer wasserrechtlichen Erlaubnis.
- Das anfallende Niederschlagswasser ist bevorzugt zu versickern bzw. zu verwerten.
- Wenn schädliche Bodenveränderungen oder Altlasten bei den Bauarbeiten wahrgenommen werden, ist dies dem Regierungspräsidium Gießen anzuzeigen.
- Die Eingriffe in den Boden sind zu beschreiben, zu bewerten und auszugleichen.
- Für Ausgleichsmaßnahmen sollten keine landwirtschaftlichen nutzbaren Flächen vorgesehen werden.
- Wenn bei den Erdarbeiten Bodendenkmäler entdeckt werden, sind diese unverzüglich dem Landesamt für Denkmalpflege zu melden.
Zu 1.:
Da der Geltungsbereich relativ schmal ist und zwischen vorhandenem Gewerbegebiet und geplantem Gewerbegebiet eine Erschließungsstraße liegt, ist der Abfluss der Kalt- und Frischluft talwärts weiterhin möglich. Durch die geplante Bebauung wird der Abfluss allerdings eingeschränkt.
Zu 2.:
Die Anregungen betreffen die Fachplanung und sind ohnehin gesetzlich geregelt. Unabhängig davon wird hierauf nachrichtlich in den textlichen Festsetzungen hingewiesen.
Zu 3.:
Die Anregungen werden für künftige Bauleitplanungen vorgebracht.
Ungeachtet dessen:
In der Begründung wird auf den Wasserverbrauch der vergangenen 7 Jahre, den erwarteten Wasserverbrauch am neuen Standort und auf die beabsichtigte Reduzierung des Trinkwasserverbrauches eingegangen. Auch wird deutlich aufgezeigt, dass die Wasserversorgung in Eschenburg sichergestellt ist.
Zu 4.:
Die Starkregengefährdung ist für den Planbereich erhöht. Entsprechende Ausführungen wurden in die Begründung aufgenommen.
Im Rahmen der Architektenplanung kann die Gefährdung stark reduziert werden, da die Bebauung in nordsüdlicher Richtung und daher in Richtung Hangneigung vorgesehen ist und daher die östlichen und die westlichen unbebauten Flächen so modelliert werden können, dass im Extremfalle das Wasser seitlich vorbeifließen kann.
Zu 5.:
Die Anregungen betreffen die nachfolgenden Planungen. Grundsätzlich ist die Entwässerung im Trennsystem möglich, welches auch favorisiert wird. Ein Hinweis auf die Favorisierung wird in die Begründung aufgenommen.
Zu 6.:
Die jeweils erforderlichen Genehmigungen werden unabhängig von der Bauleitplanung eingeholt.
Zu 7. und 8.:
Hierauf wird in den textlichen Festsetzungen nachrichtlich hingewiesen. Der Gemeinde sind keine Bodenbelastungen bekannt.
Zu 9.:
Ein Fachgutachten Schutzgut Boden wurde erstellt und die Eingriffe in den Boden bilanziert. Der Ausgleich ist vorgesehen.
Zu 10.:
Der Ausgleich soll durch Entnahme von Ökopunkten aus dem Ökopunktekonto vorgenommen werden.
Zu 11.:
Hierauf wird in den textlichen Festsetzungen nachrichtlich hingewiesen.
Es wird darauf hingewiesen, dass ein Planungsbüro mit der Durchführung des Verfahrens beauftragt wurde.
Eschenburg, den 16.10.2025
Der Gemeindevorstand der Gemeinde Eschenburg
gez. Götz Konrad, Bürgermeister
Dokumente:
251016 BPlan Rommelsberg amtliche Bekanntmachung Öffentliche Auslegung Homepage
1 B-Plan Rommelsberg Eibelshausen – Stand 05.08.25
2 textliche Festsetzungen BPlan Rommelsberg – Stand 05.08.25
3 Begründung B-Plan Rommelsberg – Stand 05.08.25
3.1 Baugrund Rommelsberg – Stand 01.11.24
4 Umweltbericht B-Plan Rommelsberg – Stand 05.08.25
4.1 Text Gutachten Flora Fauna und Artenschutz Rommelsberg – Stand 01_25
4.1.2 Bestandsplan Rommelsberg
4.1.3 Bewertungsplan Rommelsberg
4.2 Eingriffs- und Ausgleichsplan Rommelsberg
4.2.1 Eingriffs- u. Ausgleichsbilanzierung Rommelsberg
4.3 B-Plan Eibelshausen Rommelsberg Fachbeitrag Boden
5 Umweltbezogene Stellungnahmen BPlan Rommelsberg
_________________________________________________________________________________
Bekanntmachung
auf der gemeindlichen Homepage der Gemeinde Eschenburg
Leben & Wohnen – Bauleitplanung
Bauleitplanung der Gemeinde Eschenburg
Bebauungsplan „Feuerwehrgerätehaus in Simmersbach“, Ortsteil Simmersbach
hier:
- Aufstellungsbeschluss gemäß § 2 (1) Baugesetzbuch (BauGB)
- Allgemeine Ziele und Zwecke
- Beteiligung der Öffentlichkeit gemäß § 3 Abs. 2 BauGB i.V.m. § 13a Abs. 2 Nr. 1 und § 13 Abs. 2 Nr. 2 BauGB
Aufstellungsbeschluss gemäß § 2 (1) BauGB
Die Gemeindevertretung hat die Aufstellung des o.g. Planes beschlossen. Die Grenzen des Geltungsbereiches sind aus nachfolgendem Plan ersichtlich.

Die Flächen des Geltungsbereiches, rd. 3.300 m² groß, liegen am nördlichen Ortsrand von Simmersbach, Flur 1, und werden wie folgt abgegrenzt:
Im Nordwesten: Bundesstraße 253
Im Nordosten: bebautes Wohnbaugrundstück (Am Gänseborn Nr. 1) sowie Straße „Am Gänseborn“
Im Südosten: „Obere Lenzstraße“, dahinter bebautes Grundstück (Obere Lenzstraße Nr. 1)
Im Südwesten: bebaute Grundstücke (obere Lenzstraße Nrn. 8a und 6a)
Allgemeine Ziele und Zwecke
Das Feuerwehrgerätehaus im Ortsteil Simmersbach wurde vom technischen Dienst beanstandet. Er hat einen unverzüglichen Handlungsbedarf aufgezeigt. Der Handlungsbedarf betrifft sowohl sicherheitstechnische als auch bauliche Mängel. Die Mängel können am heutigen Standort nicht behoben werden. Es ist daher die Verlagerung vorgesehen.
Die Flächen des geplanten Feuerwehrgerätehauses liegen innerhalb von zwei rechtskräftigen Bebauungsplänen:
- Bebauungsplan Nr. 1 Simmersbach, rechtskräftig seit 1970
- Bebauungsplan Am Gänseborn, rechtskräftig seit 1992
Die Änderung dieser beiden Bebauungspläne ist für die Flächen, die innerhalb des Geltungsbereiches des Bebauungsplanes „Feuerwehrgerätehaus in Simmersbach“ liegen erforderlich, da mehrere Festsetzungen der rechtskräftigen Bebauungspläne die Bebauung nicht ohne weiteres zulassen.
Im Rahmen der Änderung wird u.a. die Art der baulichen Nutzung von Allgemeinem Wohngebiet in Gemeinbedarfsfläche mit der Zweckbestimmung „Feuerwehrgerätehaus“ geändert.
Der Bebauungsplan schafft die planungsrechtlichen Voraussetzungen für den Neubau.
Beteiligung der Öffentlichkeit gemäß § 3 Abs. 2 BauGB i.V.m. § 13a Abs. 2 Nr. 1 und § 13 Abs. 2 Nr. 2 BauGB
Die Unterlagen der Bauleitplanung werden in der Zeit vom 28.07.2025 bis einschließlich 05.09.2025 (Dauer der Veröffentlichungsfrist) auf der Internetseite der Gemeinde Eschenburg unter https://www.gemeinde-eschenburg.de/leben-und-wohnen/bauleitplanung veröffentlicht und stehen unter dem Internetportal des Landes Hessen unter https://bauleitplanung.hessen.de zur Verfügung. Sie können eingesehen bzw. im PDF-Format heruntergeladen werden. Dies gilt auch für diese Bekanntmachung.
Zusätzlich zur Veröffentlichung im Internet werden die Unterlagen während der Dienststunden mit Publikumsverkehr im Rathaus, Nassauer Straße 11, 35713 Eschenburg, Raum E.05, ausgelegt
Folgende Unterlagen werden veröffentlicht bzw. ausgelegt: Planzeichnung des Bebauungsplanes, textliche Festsetzungen und Begründung
Die Mindestdauer der Veröffentlichungsfrist bzw. der öffentlichen Auslegung beträgt gemäß Baugesetzbuch einen Monat. Sie wird verlängert, damit ausreichend Zeit für die Einsichtnahme und die Abgabe der Stellungnahme ist.
Die Öffentlichkeit kann Stellungnahmen während der Dauer der Veröffentlichungsfrist abgeben.
Die Stellungnahmen sollten elektronisch an folgende Mail-Adresse abgegeben werden: stellungnahmen@buero-zillinger.de.
Bei Bedarf können sie aber auch auf anderem Wege abgegeben werden, zum Beispiel schriftlich, adressiert an die Gemeindeverwaltung Eschenburg, oder zur Niederschrift.
Stellungnahmen, die nicht fristgerecht abgegeben werden, können bei der Beschlussfassung über den Bauleitplan unberücksichtigt bleiben.
Die Stellungnahmen werden ausgewertet und in nicht-öffentlichen und öffentlichen Sitzungen beraten. Die Verarbeitung der personenbezogenen Daten erfolgt nur im Rahmen des Planungsprozesses und im Übrigen unter Beachtung der Datenschutzverordnung.
Der Bebauungsplan wird im beschleunigten Verfahren gemäß § 13a BauGB ohne Durchführung einer Umweltprüfung nach § 2 Abs. 4 BauGB aufgestellt.
Es wird darauf hingewiesen, dass ein Planungsbüro mit der Durchführung des Verfahrens beauftragt wurde.
Eschenburg, den 24.07.2025
Der Gemeindevorstand der Gemeinde Eschenburg
gez. Konrad, Bürgermeister
Dokumente:
01 B-Plan Feuerwehrgerätehaus Simmersbach Stand 27.06.2025
02 TF Feuerwehrgerätehaus in Simmersbach Stand 09.07.2025
03 BG BPlan Feuerwehrgerätehaus in Simmersbach Stand 09.07.2025
Amtliche Bekanntmachung Aufstellungsbeschluss BPlan FWGH Simmersbach
________________________________________________________________________________
Bekanntmachung
auf der gemeindlichen Homepage der Gemeinde Eschenburg
Leben & Wohnen – Bauleitplanung
Bauleitplanung der Gemeinde Eschenburg
Teilflächennutzungsplan im Bereich „Windenergiegebiet Galgenberg“
hier: Bekanntmachung der Öffentlichkeitsbeteiligung gemäß § 3 Abs. 2 BauGB
Die Gewinnung von Energie aus regenerativen Quellen ist für die Gemeinde Eschenburg seit vielen Jahren ein wichtiger Baustein der nachhaltigen Gemeindeentwicklung. Historisch verankert ist die Haubergswirtschaft, seit Mitte der 1990er Jahre erzeugt die Gemeinde Energie in einem Blockheizkraftwerk, 2016 kam die Gründung der interkommunalen Lahn-Dill-Energiegenossenschaft hinzu. Mit der Energie-Messe wurde 2006 eine inzwischen traditionelle Veranstaltung mit einem breiten Beratungsangebot für Sanierungsmaßnahmen zur Energieeinsparung und für alternative und nachhaltige Energiegewinnung etabliert.
Seit dem Entwurf des Teilregionalplans Energie Mittelhessen aus dem Jahr 2012 wird im Bereich nördlich des Galgenbergs der Bau von Windenergieanlagen projektiert. Gemeinden können mit der Aufstellung von räumlichen und sachlichen Teilflächennutzungsplänen die Genehmigungsvoraussetzungen für Windenergieanlagen schaffen und fördern.
Nach Durchführung der frühzeitigen Öffentlichkeitsbeteiligung und der Beteiligung der Behörden und sonstigen Träger öffentlicher Belange wird das Planaufstellungsverfahren mit der förmlichen Öffentlichkeit weitergeführt. Zu dem Teilflächennutzungsplan „Windenergiegebiet Galgenberg“ liegen als umweltbezogene Informationen vor:
- der Umweltbericht,
- eine FFH-Verträglichkeitsprüfung für das Vogelschutzgebiet DE 5115-401 „Hauberge bei Haiger“,
- eine FFH-Verträglichkeitsprüfung für das FFH-Gebiet 5516-308 „Bortsgrasrasen bei Simmersbach“,
- eine FFH-Vorprüfung für das FFH-Gebiet DE 5516-305 „Extensivgrünland bei Ober- und Niederhörlen“,
- umweltbezogene Stellungnahmen aus der Behördenbeteiligung (Landkreis – Amt für den ländlichen Raum, Landkreis – Abt. Umwelt, Natur und Wasser, Landkreis – Abt. Bauen und Wohnen, Regierungspräsidium Gießen, Hessen-Forst).
Inhaltlich beziehen sich diese Stellungnahmen auf die Inanspruchnahme von Waldflächen, immissionsschutzfachliche Fragen, Anforderungen an naturschutzfachliche/ naturschutzrechtliche Betroffenheiten, auf den Gewässer- und Bodenschutz.
Die Informationen aus den Stellungnahmen sind inhaltlich in die Begründung und den Umweltbericht zur Planung aufgenommen. Die erforderlichen naturschutzfachlichen Untersuchungen sind Bestandteil der Planunterlagen.
Die Vorbereitung und Durchführung der gesetzlichen Beteiligungsschritte wurde einem privaten Planungsbüro (Einschaltung eines Dritten gemäß § 4b Baugesetzbuch) übertragen.
Der Entwurf des Teilflächennutzungsplanes „Windenergiegebiet Galgenberg“ wird mit Begründung und Umweltbericht sowie den nach Einschätzung der Gemeinde wesentlichen, bereits vorliegenden umweltbezogenen Stellungnahmen in der Zeit von
Dienstag, 22.04.2025 bis einschließlich Freitag, den 23.05.2025
im Internet veröffentlicht.
Die Planunterlagen werden während der Auslegungsfrist auf dem zentralen Internetportal des Landes unter https://bauleitplanung.hessen.de eingestellt.
Die Planunterlagen können während der Auslegungsfrist auch über die Homepage der Gemeinde Eschenburg abgerufen werden (https://www.gemeinde-eschenburg.de/leben-und-wohnen/bauleitplanung).
Zusätzlich sind die Planunterlagen auch auf der Homepage des mit der Planbearbeitung beauftragten Büros eingestellt und können auch dort eingesehen werden. Bitte folgen Sie dem Pfad
www.kubus-group.com –> Stadtplanung –> Aktuelle Beteiligungsverfahren.
Ergänzend wird der Planentwurf mit Begründung, Umweltbericht und umweltbezogenen Stellungnahmen in der Offenlegungsfrist während der allgemeinen Dienststunden im Rathaus, Nassauer Straße 11, 35713 Eschenburg, Ortsteil Eibelshausen, Raum E.05 (Bauabteilung), öffentlich ausgelegt.
Öffnungszeiten des Rathauses:
Montag bis Freitag: 08:30 Uhr bis 12:00 Uhr
Montag: 14:00 Uhr bis 16:30 Uhr
Dienstag und Donnerstag: 14:00 Uhr bis 15:30 Uhr
Die Einsicht in die Unterlagen kann auch außerhalb dieser Besuchszeiten nach vorheriger Terminvereinbarung unter Tel. 02774/915-108 erfolgen.
Stellungnahmen zu der Planung können während der Dauer der Veröffentlichungsfrist abgegeben werden.
Stellungnahmen sollen elektronisch übermittelt werden (per Mail an: k.fritschi@eschenburg.de oder an stadtplanung@kubus-group.com), können bei Bedarf aber auch schriftlich an die Gemeinde gesendet werden (Adresse s.o.).
Nicht fristgerecht abgegebene Stellungnahmen können bei der Beschlussfassung über den Bauleitplan unberücksichtigt bleiben.
Übersichtskarte: Lage und räumlicher Umgriff des Windenergiegebiets Galgenberg
Eschenburg, den 17.04.2025
Der Gemeindevorstand der Gemeinde Eschenburg
gez. Konrad, Bürgermeister
Dokumente:
01_ESBG_WEA_TFNP
02_ESBG_WEA_TFNP-BG
03_ESBG_WEA_TFNP-UB
03a_ESBG_WEA_TFNP-UB_Karte1.1
03b_ESBG_WEA_TFNP-UB_Karte1.2
03c_ESBG_WEA_TFNP-UB_Karte2.1
03d_ESBG_WEA_TFNP-UB_Karte2.2
03e_ESBG_WEA_TFNP-UB_Karte3
04_ESBG_TFNP_WEA_FFH-P1
04a_ESBG_TFNP_WEA_FFH-P1_Karte1
05_ESBG_TFNP_WEA_FFH-P2
05a_ESBG_TFNP_WEA_FFH-P2_Karte1
05b_ESBG_TFNP_WEA_FFH-P2_Karte2
06_ESBG_TFNP_WEA_FFH-VP
06a_ESBG_TFNP_WEA_FFH-VP_Karte
07_ESBG_WEA_TFNP_UmwStn
Öffentliche Auslegung TFNP WP Galgenberg
__________________________________________________________________________________
Bauleitplanung der Gemeinde Eschenburg, Gemarkung Wissenbach
Bebauungsplan „Im Seifen“, 1. Änderung
Bekanntmachung der Beteiligung der Öffentlichkeit gemäß § 3 Abs. 2 BauGB
Die Gemeindevertretung hat am 17.11.2022 den Beschluss für die Aufstellung der 1. Änderung des Bebauungsplanes „Im Seifen“ beschlossen. Planziel ist die Reaktivierung des Standortes für den Einzelhandel durch die Ausweisung eines Sondergebietes für den großflächigen Einzelhandel gemäß § 11 BauNVO. Der Geltungsbereich und die Lage des Plangebietes sind den nachstehenden Übersichtskarten zu entnehmen.
Gemäß § 2 Abs. 4 und § 2a BauGB wird eine Umweltprüfung für das Bauleitplanverfahren durchgeführt, in der die voraussichtlich erheblichen Umwelteinwirkungen ermittelt und in einem Umweltbericht beschrieben und bewertet werden. Gemäß § 3 Abs. 2 BauGB (Beteiligung der Öffentlichkeit) sind die Planunterlagen zu dem Entwurf des Bebauungsplanes mit integrierten bauordnungsrechtlichen Gestaltungsvorschriften (gemäß § 91 HBO i.V.m. § 9 Abs. 4 BauGB) einschließlich Begründung, Umweltbericht mit Artenschutzrechtlichem Fachbeitrag, den umweltrelevanten Stellungnahmen sowie der Inhalt dieser Bekanntmachung während der Veröffentlichungsfrist vom
24.03.2025 bis einschließlich 09.05.2025
im Internet auf der Homepage der Gemeinde Eschenburg unter dem Link https://www.gemeinde-eschenburg.de/leben-und-wohnen/bauleitplanung/ einsehbar. Alle Planunterlagen können auch im Internet über das Landesportal unter https://bauleitplanung.hessen.de abgerufen werden.
Während der Dauer der o.g. Veröffentlichungsfrist können Stellungnahmen abgegeben werden. Die Stellungnahmen sollen elektronisch übermittelt werden (via E-Mail an k.fritschi@eschenburg.de oder beteiligung@fischer-plan.de), können bei Bedarf aber auch auf anderem Weg abgegeben werden. Es wird darauf hingewiesen, dass nicht fristgerecht abgegebene Stellungnahmen bei der Beschlussfassung über die Bauleitplanung unberücksichtigt bleiben können.
Als zusätzliches Informationsangebot liegen die o. g. Planunterlagen während der Dienststunden im Rathaus, Nassauer Straße 11, 35713 Eschenburg, Ortsteil Eibelshausen, Raum E.05 (Bauabteilung) aus.
Öffnungszeiten des Rathauses:
Montag bis Freitag: 08:30 Uhr bis 12:00 Uhr
Montag: 14:00 Uhr bis 16:30 Uhr
Dienstag und Donnerstag: 14:00 Uhr bis 15:30 Uhr
Die Einsicht in die Unterlagen kann auch außerhalb dieser Besuchszeiten nach vorheriger Terminvereinbarung unter Tel. 02774/915-108 erfolgen.
Die Gemeinde Eschenburg hat gemäß § 4b BauGB ein Planungsbüro mit der Vorbereitung und Durchführung von Verfahrensschritten nach den §§ 2a bis 4a BauGB beauftragt.
Sofern in den Festsetzungen keine anderen Datenquellen genannt sind, können alle aufgeführten DIN-Normen und Regelwerke in der Verwaltung der Gemeinde Eschenburg während der o.g. Dienststunden oder nach telefonischer Vereinbarung von jedermann eingesehen werden.
Folgende Arten umweltbezogener Informationen liegen vor:
Umweltbericht: Der Umweltbericht umfasst neben einem einleitenden Kapitel zu den Inhalten, Zielen und Festsetzungen des Bebauungsplanes, der Einordnung des Plangebietes und den in den einschlägigen Fachgesetzen und Fachplänen festgelegten Zielen des Umweltschutzes, eine Beschreibung und Bewertung der voraussichtlichen erheblichen Umweltauswirkungen der Planungen einschließlich der Maßnahmen zu ihrer Vermeidung, Verringerung bzw. ihrem Ausgleich. Die Betrachtung der umweltrelevanten Schutzgüter umfasst:
- Boden und Fläche: Informationen zur Bestandsaufnahme und zu den Bewertungsmethoden der Bodenfunktionen, Bodenvorbelastungen, Bodenempfindlichkeit, Bodenentwicklungsprognose und Eingriffsbewertung sowie zur Minderung des Bodeneingriffs.
- Wasser: Hinweise zu niedriger Konfliktsituation mit Schutzgut Wasser, da keine Oberflächengewässer oder Quellen berührt werden, Hinweise zur Betroffenheit durch Fließpfad und Starkregenereignissen, zu negativen Effekten auf den Wasserhaushalt und Festsetzungen zur Reduzierung dieser.
- Klima und Luft: Informationen zur Bedeutung des Plangebietes für die Schutzgüter Klima und Luft, zur Kaltluftentstehung, zur Frischluftproduktion, zur Eingriffsbewertung und zu eingriffsminimierenden Maßnahmen.
- Tiere, Pflanzen und Biologische Vielfalt: Informationen zu den betroffenen Biotop- und Nutzungstypen, zur Bestands- und Eingriffsbewertung. Zudem allgemeine Informationen und Beschreibungen zu Schutzgütern Tiere und Pflanzen sowie eine Eingriffsbewertung im Hinblick auf artenschutzrechtliche Belange. Darüber hinaus getroffene Vermeidungsmaßnahmen für Vögel und Fledermäuse.
- Landschaft: Informationen und Beschreibungen zur bestehenden Landschaft und den bestehenden Gewerbeflächen und Einzelhandelsnutzungen sowie eine Eingriffsbewertung im Hinblick auf das Orts- und Landschaftsbild durch die leicht sichtexponierte Lage und durch Erhöhung des Begrünungsgrades.
- Natura-2000-Gebiete und geschützte Biotope: Aussage zur Nichtbetroffenheit von Natura-2000-Gebieten, geschützten Biotopen und Lebensraumtypen. Hinweis auf geschütztes Biotop der Baumallee entlang der Bundesstraße B 253. Hinweis auf nördlich angrenzendes Biotop „Streuobst am südlichen Ortsrand von Wissenbach“.
- Mensch, Gesundheit und Bevölkerung: Feststellung einer geringen Funktion für die Naherholung aufgrund der bestehenden Verkehrssituation. Kein Hinweis auf erhebliche Beeinträchtigung der Schutzgüter Mensch, Wohnen und Erholung.
- Kultur- und sonstige Sachgüter: Hinweis, dass nicht mit dem Vorkommen von Kultur- und sonstigen Sachgütern zu rechnen ist sowie Hinweise auf gesetzliche Regelungen zum Umgang mit Bodendenkmälern.
- Bestehende und resultierende Risiken für die menschliche Gesundheit, das kulturelle Erbe oder für planungsrelevante Schutzgüter durch Unfälle und Katastrophen: Aussagen zur fehlenden Anfälligkeit der nach dem Bebauungsplan zulässigen Vorhaben für schwere Unfälle oder Katastrophen. Hinweis, dass nicht mit erheblichen nachteiligen Auswirkungen auf Tiere, Pflanzen, Fläche, Boden, Wasser, Luft, Klima, Landschaft, Biologische Vielfalt, Natura-2000-Gebiete, Mensch, Gesundheit, Bevölkerung sowie Kultur- und sonstige Sachgüter durch schwere Unfälle oder Katastrophen zu rechnen ist.
Ferner umfasst der Umweltbericht Angaben zu Maßnahmen zur Vermeidung, Verringerung und zum Ausgleich der nachteiligen Auswirkungen der Planung, zur Entwicklung des Umweltzustandes bei Durchführung bzw. Nichtdurchführung der Planungen, zu den in Betracht kommenden anderweitigen Planungsmöglichkeiten sowie zur Überwachung der Umweltauswirkungen, die aufgrund des Bebauungsplans auftreten können.
Folgende weitere umweltbezogene Fachgutachten liegen vor und sind einsehbar:
- Plan Ö GmbH – Artenschutzrechtlicher Fachbeitrag zum Bebauungsplan „Im Seifen“. 1. Änderung, Gemarkung Wissenbach, 01.10.2024
Im Rahmen der Beteiligungsverfahren gemäß § 3 Abs. 1 und § 4 Abs. 1 BauGB sind folgende umweltrelevante Stellungnahmen von Behörden und sonstigen Trägern öffentlicher Belange eingegangen. Diese liegen ebenfalls aus:
- Kreisausschuss des Lahn-Dill-Kreises, Abteilung Bauen und Wohnen (09.01.2024) (Schutzgüter: Kultur- und sonstige Sachgüter): Hinweise zum Umgang mit Bodendenkmälern bei Erdarbeiten. Der Hinweis ist bereits in den Planunterlagen enthalten.
- Kreisausschuss des Lahn-Dill-Kreises, Abteilung Umwelt und Natur und Wasser (15.01.2024) (Schutzgüter: Boden und Fläche): Hinweis auf Eintragung einer schädlichen Bodenveränderung sowie eines Altstandortes im Fachinformationssystem FIS AG. Hinweis an Kommune, weitere Informationen einzuholen, welchem die Gemeinde Eschenburg nachkam. Allgemeine Hinweise bei Bodenaushubarbeiten.
- Regierungspräsidium Darmstadt, Kampfmittelräumdienst (08.01.2024) (Schutzgüter: Boden und Fläche – Mensch, Gesundheit und Bevölkerung): Hinweis, dass die Auswertung von Luftbildern keinen begründeten Verdacht auf das Auffinden von Bombenblindgängern ergeben hat.
- Regierungspräsidium Gießen, FD 31.6 (19.01.2024) (Schutzgüter: Wasser, Boden und Fläche, Mensch, Gesundheit und Bevölkerung): Hinweis auf Arbeitshilfe zur Berücksichtigung von wasserwirtschaftlichen Belangen in der Bauleitplanung, Hinweis auf Thema Starkregen und Fließpfade, Hinweis auf Eintragung eines Altstandortes in der Altflächendatei und die Empfehlung einer Historischen Erkundung zu diesem, welcher die Gemeinde nachgekommen ist. Hinweis auf Ergänzung der Ersatzbaustoffverordnung (EBV). Hinweis auf neue Bundes-Bodenschutz – und Altlastenverordnung (BBodSchV) als Teil der sog. Mantelverordnung, auf welche in der Begründung verwiesen wird. Empfehlung einer Schallimmissionsprognose, auf welche jedoch aufgrund der sich nicht veränderten Nutzung sowie desselben Niveaus der Verkehrsbelastung und dem Wegfall einer Wohnnutzung verzichtet wird. Hinweis auf erloschene Bergwerksfelder, der Hinweis wird in der Begründung der Planunterlagen mitaufgenommen.
Eschenburg, den 20.03.2025
Der Gemeindevorstand der Gemeinde Eschenburg


Dokumente:
Öffentliche Auslegung Im Seifen 1. Änderung Wissenbach 1 Abwägung Stand 14.11.24
Öffentliche Auslegung Im Seifen 1. Änderung Wissenbach 2 Planzeichnung Stand 14.11.24
Öffentliche Auslegung Im Seifen 1. Änderung Wissenbach 3 BG Stand 14.11.24
Öffentliche Auslegung Im Seifen 1. Änderung Wissenbach 3.1 Auswirkungsanalyse Stand 14.07.23
Öffentliche Auslegung Im Seifen 1. Änderung Wissenbach 4 UB Stand 14.11.24
Öffentliche Auslegung Im Seifen 1. Änderung Wissenbach 4.1. Bestandskarte
Öffentliche Auslegung Im Seifen 1. Änderung Wissenbach 4.2 AfB Okt 24
Öffentliche Auslegung Im Seifen 1. Änderung Wissenbach
__________________________________________________________________________________
Bauleitplanung der Gemeinde Eschenburg
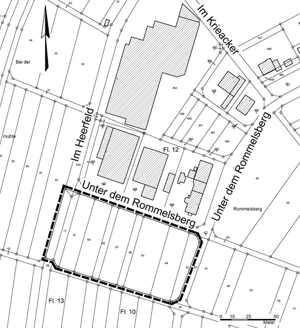
Bebauungsplan „Rommelsberg“, Ortsteil Eibelshausen
Aufstellungsbeschluss gemäß § 2 (1) Baugesetzbuch (BauGB)
Allgemeine Ziele und Zwecke
Beteiligung der Öffentlichkeit gemäß § 3 (1) BauGB
Aufstellungsbeschluss gemäß § 2 (1) BauGB
Die Gemeindevertretung hat die Aufstellung des o.g. Planes beschlossen. Die Grenzen des Geltungsbereiches sind aus nachfolgender Abbildung ersichtlich.
Die Flächen des Geltungsbereiches liegen in der Gemarkung Eibelshausen, in den Fluren 12 (Gewerbegebiet) und 13 (Erschließungsstraße) und werden wie folgt abgegrenzt:
Im Nordosten: Straße „Unter dem Rommelsberg“
Im Südosten: Wirtschaftsweg, dahinter Gehölzbestand
Im Südwesten: Wirtschaftsweg, dahinter landwirtschaftliche Flächen
Im Nordwesten: landwirtschaftliche Flächen
Allgemeine Ziele und Zwecke
Eine im Gewerbegebiet Eibelshausen bereits ansässige Firma beabsichtigt den Umzug in das Gewerbegebiet dieses Bebauungsplanes, da am heutigen Standort die verfügbaren Flächen zu klein sind.
Wegen der beengten Verhältnisse am heutigen Standort wurden bereits zusätzliche Hallen außerhalb des Grundstückes angemietet.
Am heutigen Standort der Firma ist innerhalb der genutzten Gebäude eine zweite Firma ansässig. Durch die geplante Verlagerung kann auch die 2. Firma expandieren.
Der Bebauungsplan schafft daher die planungsrechtlichen Voraussetzungen für die wirtschaftliche Weiterentwicklung für zwei Firmen und damit auch für die Gemeinde.
Der Bebauungsplan dient vor allem der städtebaulichen Ordnung im Planbereich einschließlich der Erschließung. Die Standortbedingungen werden für die Firmen verbessert und ein Abwandern der Betriebe wird verhindert.
Der Bebauungsplan weist im Wesentlichen ein Gewerbegebiet aus.
Beteiligung der Öffentlichkeit gemäß § 3 (1) BauGB
Die Unterlagen der Bauleitplanung (Planzeichnung des Bebauungsplanes, die textlichen Festsetzungen, die Begründung mit deren Anlagen „Biotoptypenkartierung, faunistisch-floristische Planungsraumanalyse, Kartierungen und artenschutzrechtlicher Fachbeitrag“) werden zur Unterrichtung über die allgemeinen Ziele und Zwecke der Planung und der voraussichtlichen Auswirkungen in der Zeit
vom 24.03.2025 bis einschl. 09.05.2025
auf der Internetseite der Gemeinde Eschenburg unter https://www.gemeinde-eschenburg.de/leben-und-wohnen/bauleitplanung veröffentlicht.
Sie können eingesehen bzw. im PDF-Format heruntergeladen werden.
Zusätzlich zur Veröffentlichung im Internet werden die Unterlagen während der Dienststunden mit Publikumsverkehr im Rathaus, Nassauer Straße 11, 35713 Eschenburg, Raum E.05, ausgelegt.
Während des oben genannten Zeitraumes hat die Öffentlichkeit auch Gelegenheit zur Äußerung und Erörterung, auch im Hinblick auf den erforderlichen Umfang und Detaillierungsgrad der Umweltprüfung nach § 2 Absatz 4 BauGB.
Die Öffentlichkeit kann sich informieren und durch Wünsche und Anregungen die Planung beeinflussen.
Die Stellungnahmen sollten elektronisch an folgende Mail-Adresse abgegeben werden: stellungnahmen@buero-zillinger.de.
Bei Bedarf können sie aber auch auf anderem Wege abgegeben werden, zum Beispiel schriftlich, adressiert an die Gemeindeverwaltung der Gemeinde Eschenburg oder zur Niederschrift.
Stellungnahmen, die nicht fristgerecht abgegeben werden, können bei der Beschlussfassung über den Bauleitplan unberücksichtigt bleiben.
Die Anregungen werden ausgewertet und in nicht-öffentlichen und öffentlichen Sitzungen beraten. Die Verarbeitung der personenbezogenen Daten erfolgt nur im Rahmen des Planungsprozesses und im Übrigen unter Beachtung der Datenschutzverordnung.
Es wird darauf hingewiesen, dass ein Planungsbüro mit der Durchführung des Verfahrens beauftragt wurde.
Eschenburg, 07.03.25
Der Gemeindevorstand der Gemeinde Eschenburg
gez. Konrad, Bürgermeister
Dokumente:
Beteiligung Öffentlichkeit BPlan Rommelsberg Eibelshausen 1 Planzeichnung Stand 30.12.24
Beteiligung Öffentlichkeit BPlan Rommelsberg Eibelshausen 2 TF Stand 26.02.25
Beteiligung Öffentlichkeit BPlan Rommelsberg Eibelshausen 3 BG Stand 26.02.25
Beteiligung Öffentlichkeit BPlan Rommelsberg Eibelshausen 3.1 Gutachten ASB Stand Januar 25
Beteiligung Öffentlichkeit BPlan Rommelsberg Eibelshausen 3.2 Gutachten Anhang
Beteiligung Öffentlichkeit BPlan Rommelsberg Eibelshausen 3.3. Bestand
Beteiligung Öffentlichkeit BPlan Rommelsberg Eibelshausen 3.4. Bewertung
Beteiligung Öffentlichkeit BPlan Rommelsberg Eibelshausen 4 Baugrund
Homepage Aufstellung Beteiligung Öffentlichkeit BPlan Rommelsberg Eibelshausen
__________________________________________________________________________________
Bauleitplanung der Gemeinde Eschenburg
Bebauungsplan „Hütte“, Ortsteil Eibelshausen
Aufstellungsbeschluss gemäß § 2 (1) Baugesetzbuch (BauGB)
Allgemeine Ziele und Zwecke
Beteiligung der Öffentlichkeit gemäß § 3 (1) BauGB
Aufstellungsbeschluss gemäß § 2 (1) BauGB
Die Gemeindevertretung hat die Aufstellung des o.g. Planes beschlossen. Die Grenzen des Geltungsbereiches sind aus nachfolgender Abbildung ersichtlich.
Die Flächen des Geltungsbereiches liegen in der Gemarkung Eibelshausen. Der Geltungsbereich grenzt im Osten direkt an die Laaspher Straße (L 3043) an. Er liegt zwischen der Mühlbachstraße (südliche Grenze) und der Straße „Im Schosseifen“ (nördliche Grenze).
Im Westen grenzt Grünland und dahinter Wald an.
Allgemeine Ziele und Zwecke
Der rund 11,5 ha große Geltungsbereich wird seit vielen Jahren gewerblich genutzt.
Die ansässige Firma beabsichtigt, eine erhebliche Umstrukturierung des betrieblichen Ablaufes zum Erhalt der Wettbewerbsfähigkeit vorzunehmen. Etwa 30 % der Gebäude sollen durch die geplante Umstrukturierung durch Neubauten ersetzt werden.
Das Gewerbegebiet ist bauleitplanerisch noch nicht abgesichert, so dass das Kreisbauamt, vor allem wegen des Umfanges der aktuell vorgesehenen Maßnahmen, die Aufstellung eines Bebauungsplanes als Voraussetzung für Baugenehmigungen fordert.
Der Bebauungsplan schafft die planungsrechtlichen Voraussetzungen für die vorgesehenen Änderungen und dient auch dem Bestandsschutz der zum Erhalt vorgesehenen Gebäude.
Der Bebauungsplan weist im Wesentlichen ein Gewerbegebiet aus.
Beteiligung der Öffentlichkeit gemäß § 3 (1) BauGB
Die Unterlagen der Bauleitplanung (Planzeichnung des Bebauungsplanes, die textlichen Festsetzungen, die Begründung mit deren Anlagen „Bestandsplan“ und Schallimmissionsprognose) werden zur Unterrichtung über die allgemeinen Ziele und Zwecke der Planung und der voraussichtlichen Auswirkungen in der Zeit
vom 24.03.2025 bis einschl. 09.05.2025
auf der Internetseite der Gemeinde Eschenburg unter https://www.gemeinde-eschenburg.de/leben-und-wohnen/bauleitplanung veröffentlicht.
Sie können eingesehen bzw. im PDF-Format heruntergeladen werden.
Zusätzlich zur Veröffentlichung im Internet werden die Unterlagen während der Dienststunden mit Publikumsverkehr im Rathaus, Nassauer Straße 11, 35713 Eschenburg, Raum E.05, ausgelegt.
Während des oben genannten Zeitraumes hat die Öffentlichkeit auch Gelegenheit zur Äußerung und Erörterung, auch im Hinblick auf den erforderlichen Umfang und Detaillierungsgrad der Umweltprüfung nach § 2 Absatz 4 BauGB.
Die Öffentlichkeit kann sich informieren und durch Wünsche und Anregungen die Planung beeinflussen.
Die Stellungnahmen sollten elektronisch an folgende Mail-Adresse abgegeben werden: stellungnahmen@buero-zillinger.de.
Bei Bedarf können sie aber auch auf anderem Wege abgegeben werden, zum Beispiel schriftlich, adressiert an die Gemeindeverwaltung der Gemeinde Eschenburg oder zur Niederschrift.
Stellungnahmen, die nicht fristgerecht abgegeben werden, können bei der Beschlussfassung über den Bauleitplan unberücksichtigt bleiben.
Die Anregungen werden ausgewertet und in nicht-öffentlichen und öffentlichen Sitzungen beraten. Die Verarbeitung der personenbezogenen Daten erfolgt nur im Rahmen des Planungsprozesses und im Übrigen unter Beachtung der Datenschutzverordnung.
Es wird darauf hingewiesen, dass ein Planungsbüro mit der Durchführung des Verfahrens beauftragt wurde.
Eschenburg, 07.03.2025
Der Gemeindevorstand der Gemeinde Eschenburg
gez. Konrad, Bürgermeister
Dokumente:
Beteiligung Öffentlichkeit BPlan Hütte Eibelshausen 1 Planzeichnung Stand 27.02.25
Beteiligung Öffentlichkeit BPlan Hütte Eibelshausen 2 TF Stand 07.02.25
Beteiligung Öffentlichkeit BPlan Hütte Eibelshausen 3 BG Stand 07.02.25
Beteiligung Öffentlichkeit BPlan Hütte Eibelshausen 3.1. Bestandsplan Stand 29.01.25
Beteiligung Öffentlichkeit BPlan Hütte Eibelshausen 3.2. Immissionsberechnung Stand 27.01.25
Beteiligung Öffentlichkeit BPlan Hütte Eibelshausen
__________________________________________________________________________________
Amtliche Bekanntmachung
Bauleitplanung der Gemeinde Eschenburg
Bebauungsplan „Im Krieacker“, Gemarkung Eibelshausen
hier: Bekanntmachung gemäß § 10 (3) BauGB (Inkrafttreten des Bebauungsplanes)
Die Gemeindevertretung der Gemeinde Eschenburg hat den o. g. Bebauungsplan für den in nachfolgender Abbildung dargestellten Geltungsbereich am 21.11.2024 als Satzung beschlossen, s. folgende Abbildung.

Abb.: Geltungsbereich des Bebauungsplanes
Der Bebauungsplan tritt mit dieser Bekanntmachung in Kraft.
Gemäß § 215 Abs. 2 BauGB wird darauf hingewiesen, dass
- eine nach § 214 Abs. 1 Satz 1 Nr. 1 bis 3 BauGB beachtliche Verletzung der dort bezeichneten Verfahrens- und Formvorschriften,
- eine unter Berücksichtigung des § 214 Abs. 2 BauGB beachtliche Verletzung der Vorschriften über das Verhältnis des Bebauungsplanes und des Flächennutzungsplanes und
- nach § 214 Abs. 3 Satz 2 BauGB beachtliche Mängel des Abwägungsvorgangs
gemäß § 215 Abs. 1 BauGB unbeachtlich werden, wenn sie nicht innerhalb eines Jahres seit dieser Bekanntmachung schriftlich gegenüber dem Gemeindevorstand der Gemeinde Eschenburg, Nassauer Straße 11, 35713 Eschenburg, unter Darlegung des die Verletzung begründenden Sachverhalts geltend gemacht worden sind.
Auf die Vorschriften des § 44 Abs. 3 Satz 1 und 2 sowie des Absatzes 4 BauGB für die fristgerechte Geltendmachung etwaiger Entschädigungsansprüche bei Eingriffen des oben genannten Bebauungsplanes in eine bisher zulässige Nutzung und über das Erlöschen solcher Ansprüche wird hingewiesen.
Dem Bebauungsplan ist eine zusammenfassende Erklärung über die Art und Weise beigefügt, wie die Umweltbelange und die Ergebnisse der Öffentlichkeits- und Behördenbeteiligung in der Bauleitplanung berücksichtigt wurden. Es sind die Gründe enthalten, weswegen der Plan nach Abwägung mit den geprüften, in Betracht kommenden anderweitigen Planungsmöglichkeiten gewählt wurde.
Der Bebauungsplan, die Begründung und die zusammenfassende Erklärung werden gemäß § 10 (3) BauGB während der Öffnungszeiten im Rathaus der Gemeinde Eschenburg, Nassauer Straße 11, 35713 Eschenburg, Raum E.05 zu jedermanns Einsicht bereitgehalten.
Jedermann kann diese Planung einsehen und über seinen Inhalt Auskunft verlangen.
Diese Unterlagen können auch auf der Internetseite der Gemeinde Eschenburg eingesehen und heruntergeladen werden.
Eschenburg, 12.12.2024
Der Gemeindevorstand der Gemeinde Eschenburg
gez. Götz Konrad, Bürgermeister
Dokumente:
Amtliche Bekanntmachung Rechtskraft B-Plan Im Krieacker
1 B-Plan Im Krieacker Satzung
2 Begründung B-Plan Im Krieacker
3 Umweltbericht B-Plan Im Krieacker
4 Zusammenfassende Erklärung B-Plan Im Krieacker
__________________________________________________________________________________
Amtliche Bekanntmachung
Bauleitplanung der Gemeinde Eschenburg
Teilflächennutzungsplan „Windenergiegebiet Galgenberg“
hier: Bekanntmachung des Aufstellungsbeschlusses und der frühzeitigen Öffentlichkeitsbeteiligung
Die Gemeindevertretung hat in ihrer Sitzung am 12.09.2024 den Aufstellungsbeschluss für den Teilflächennutzungsplan „Windenergie Galgenberg“ gefasst. Dieser Beschluss wird hiermit öffentlich bekanntgemacht.
Die Gewinnung von Energie aus regenerativen Quellen ist für die Gemeinde Eschenburg seit vielen Jahren ein wichtiger Baustein der nachhaltigen Gemeindeentwicklung. Historisch verankert ist die Haubergswirtschaft, seit Mitte der 1990er Jahre erzeugt die Gemeinde Energie in einem Blockheizkraftwerk, 2016 kam die Gründung der interkommunalen Lahn-Dill-Energiegenossenschaft hinzu. Mit der Energie-Messe wurde 2006 eine inzwischen traditionelle Veranstaltung mit einem breiten Beratungsangebot für Sanierungsmaßnahmen zur Energieeinsparung und für alternative und nachhaltige Energiegewinnung etabliert.
Seit dem Entwurf des Teilregionalplans Energie Mittelhessen aus dem Jahr 2012 wird im Bereich nördlich des Galgenbergs der Bau von Windenergieanlagen projektiert. Gemeinden können mit der Aufstellung von räumlichen und sachlichen Teilflächennutzungsplänen die Genehmigungsvoraussetzungen für Windenergieanlagen schaffen und fördern.
Die Planunterlagen des Vorentwurfs zum Teilflächennutzungsplan „Windenergiegebiet Galgenberg“ werden zur frühzeitigen Unterrichtung der Öffentlichkeit über die allgemeinen Ziele und Zwecke der Planung (§ 3 Abs. 1 BauGB) in der Zeit von
Montag, 02.12.2024 bis einschließlich Freitag, 10.01.2025
auf der Homepage der Gemeinde Eschenburg in das Internet unter https://www.gemeinde-eschenburg.de/leben-und-wohnen/bauleitplanung eingestellt.
Die Unterlagen stehen auch über das Internetportal des Landes Hessen unter https://bauleitplanung.hessen.de/ zur Verfügung.
Dies gilt auch für diese Bekanntmachung.
In dieser Zeit wird der Öffentlichkeit während der allgemeinen Dienststunden im Bauamt der Gemeindeverwaltung, Nassauer Straße 11, 35713 Eschenburg, Raum E.05 Gelegenheit zur Einsichtnahme in die Pläne und zur Äußerung und Erörterung der Planung gegeben.
Termine können auch außerhalb der Dienststunden im Bauamt nach vorheriger Terminabsprache unter Tel. 02774/915-108 vereinbart werden.
In der Zeit von Montag, dem 23.12.2024 bis einschließlich Mittwoch, dem 01.01.2025 bleibt das Rathaus geschlossen.
Stellungnahmen zu der Planung können in elektronischer Form an info@eschenburg.de oder an stadtplanung@kubus-group.com übermittelt werden. Bei Bedarf können Stellungnahmen auch schriftlich bei der Gemeinde (Adresse s.o.) oder zur Niederschrift abgegeben werden.
Die Stellungnahmen werden ausgewertet und in nicht-öffentlichen und öffentlichen Sitzungen beraten. Die Verarbeitung der personenbezogenen Daten erfolgt im Rahmen des Planungsprozesses und im Übrigen unter Beachtung der Datenschutzverordnung.
Die Vorbereitung und Durchführung der gesetzlichen Beteiligungsschritte wurde einem privaten Planungsbüro (Einschaltung eines Dritten gemäß § 4b Baugesetzbuch) übertragen.
Die Planunterlagen sind auch auf der Homepage des mit der Planbearbeitung beauftragten Büros eingestellt und können auch dort eingesehen werden. Bitte folgen Sie dem Pfad
www.kubus-group.com –> Stadtplanung –> Aktuelle Beteiligungsverfahren
Übersichtskarte: Lage und räumlicher Umgriff des Windenergiegebiets Galgenberg
Bildquelle: geoportal hessen.de
Eschenburg, den 28.11.2024
Der Gemeindevorstand der Gemeinde Eschenburg
gez. Konrad, Bürgermeister
Dokumente:
Amtliche Bekanntmachung Aufstellungsbeschluss und Öffentlichkeit FNP Windenergie Galgenberg
Teilflächennutzungsplan „Windenergiegebiet Galgenberg“
Teilflächennutzungsplan „Windenergiegebiet Galgenberg“ Begründung
Umweltbericht zum Flächennutzungsplan
__________________________________________________________________________________
Bauleitplanung der Gemeinde Eschenburg
Flächennutzungsplan-Änderung „Feuerwehrgerätehaus“, Gemarkung Eiershausen
Hier: Bekanntmachung der Genehmigung gemäß § 6 Abs. 5 BauGB (Rechtswirksamkeit der Flächennutzungsplan-Änderung)
Die Gemeindevertretung der Gemeinde Eschenburg hat die o. g. Flächennutzungsplan-Änderung festgestellt und dem Regierungspräsidium gemäß § 6 BauGB mit Antrag zur Genehmigung vorgelegt.
Die Flächennutzungsplan-Änderung, s. folgende Abbildung, wurde mit Verfügung vom 10.06.2024 genehmigt.
Die Flächennutzungsplan-Änderung wird mit dieser Bekanntmachung rechtswirksam.
Gemäß § 215 Abs. 1 BauGB wird darauf hingewiesen, dass
- eine nach 214 Abs. 1 Satz 1 Nr. 1 bis 3 BauGB beachtliche Verletzung der dort bezeichneten Verfahrens- und Formvorschriften und
- nach 214 Abs. 3 Satz 2 BauGB beachtliche Mängel des Abwägungsvorgangs
gemäß § 215 Abs. 1 BauGB unbeachtlich werden, wenn sie nicht innerhalb eines Jahres seit dieser Bekanntmachung schriftlich gegenüber dem Gemeindevorstand der Gemeinde Eschenburg, Nassauer Straße 11, 35713 Eschenburg, unter Darlegung des die Verletzung begründenden Sachverhalts geltend gemacht worden sind.
Der Flächennutzungsplan-Änderung ist eine zusammenfassende Erklärung über die Art und Weise beigefügt, wie die Umweltbelange und die Ergebnisse der Öffentlichkeits- und Behördenbeteiligung in der Bauleitplanung berücksichtigt wurden. Es sind die Gründe enthalten, weswegen der Plan nach Abwägung mit den geprüften, in Betracht kommenden anderweitigen Planungsmöglichkeiten gewählt wurde.
Die Flächennutzungsplan-Änderung, die Begründung und die zusammenfassende Erklärung werden gemäß § 6 (5) BauGB während der Dienststunden im Rathaus der Gemeinde Eschenburg, Nassauer Straße 11, 35713 Eschenburg, Raum E.05, zu jedermanns Einsicht bereitgehalten.
Jedermann kann dieses Planwerk einsehen und über seinen Inhalt Auskunft verlangen.
Diese Unterlagen können auch auf der Internetseite der Gemeinde Eschenburg eingesehen und heruntergeladen werden.
Eschenburg, 27.06.2024
gez. Konrad, Bürgermeister
Dokumente
02_FNPÄnderung FFW Eiershausen Planzeichnung
03_FNPÄnderung FFW Eiershausen Begründung
04_FNPÄnderung FFW Eiershausen Zusammenfassende Erklärung
240627 Bekanntm. Rechtswirksamkeit F-Plan Feuerwehr Eiershausen
__________________________________________________________________________________
Bauleitplanung der Gemeinde Eschenburg
Bebauungsplan „Feuerwehrgerätehaus“, Gemarkung Eiershausen
hier: Bekanntmachung gemäß § 10 (3) BauGB (Inkrafttreten des Bebauungsplanes)
Die Gemeindevertretung der Gemeinde Eschenburg hat den o. g. Bebauungsplan für den in nachfolgender Abbildung dargestellten Geltungsbereich am 25.04.2024 als Satzung beschlossen, s. folgende Abbildung.

Abb.: Geltungsbereich des Bebauungsplanes
Der Bebauungsplan tritt mit dieser Bekanntmachung in Kraft.
Gemäß § 215 Abs. 2 BauGB wird darauf hingewiesen, dass
- eine nach § 214 Abs. 1 Satz 1 Nr. 1 bis 3 BauGB beachtliche Verletzung der dort bezeichneten Verfahrens- und Formvorschriften,
- eine unter Berücksichtigung des § 214 Abs. 2 BauGB beachtliche Verletzung der Vorschriften über das Verhältnis des Bebauungsplanes und des Flächennutzungsplanes und
- nach § 214 Abs. 3 Satz 2 BauGB beachtliche Mängel des Abwägungsvorgangs
gemäß § 215 Abs. 1 BauGB unbeachtlich werden, wenn sie nicht innerhalb eines Jahres seit dieser Bekanntmachung schriftlich gegenüber dem Gemeindevorstand der Gemeinde Eschenburg, Nassauer Straße 11, 35713 Eschenburg, unter Darlegung des die Verletzung begründenden Sachverhalts geltend gemacht worden sind.
Auf die Vorschriften des § 44 Abs. 3 Satz 1 und 2 sowie des Absatzes 4 BauGB für die fristgerechte Geltendmachung etwaiger Entschädigungsansprüche bei Eingriffen des oben genannten Bebauungsplanes in eine bisher zulässige Nutzung und über das Erlöschen solcher Ansprüche wird hingewiesen.
Dem Bebauungsplan ist eine zusammenfassende Erklärung über die Art und Weise beigefügt, wie die Umweltbelange und die Ergebnisse der Öffentlichkeits- und Behördenbeteiligung in der Bauleitplanung berücksichtigt wurden. Es sind die Gründe enthalten, weswegen der Plan nach Abwägung mit den geprüften, in Betracht kommenden anderweitigen Planungsmöglichkeiten gewählt wurde.
Der Bebauungsplan, die Begründung und die zusammenfassende Erklärung werden gemäß § 10 (3) BauGB während der Öffnungszeiten im Rathaus der Gemeinde Eschenburg, Nassauer Straße 11, 35713 Eschenburg, Raum E.05 zu jedermanns Einsicht bereitgehalten.
Jedermann kann diese Planung einsehen und über seinen Inhalt Auskunft verlangen.
Diese Unterlagen können auch auf der Internetseite der Gemeinde Eschenburg eingesehen und heruntergeladen werden.
Eschenburg, 27.06.2024
gez. Konrad, Bürgermeister
Dokumente
02_BPlan FFW Eiershausen Planzeichnung
03_BPlan FFW Eiershausen Begründung
04_BPlan FFW Eiershausen Zusammenfassende Erklärung
240627 Bekanntm. Rechtskraft B-Plan Feuerwehr Eiershausen
__________________________________________________________________________________
Bauleitplanung der Gemeinde Eschenburg
Bebauungsplan „Im Krieacker“, Gemarkung Eibelshausen
Beteiligung der Öffentlichkeit gemäß § 3 Abs. 2 BauGB
Die Gemeindevertretung hat den Beschluss zur Durchführung des Verfahrens nach § 3 Abs. 2 BauGB (Veröffentlichung der Bauleitplanung im Internet und öffentliche Auslegung) beschlossen.
Die Unterlagen der Bauleitplanung können in der Zeit vom 03.06.2024 bis einschließlich 19.07.2024 (Dauer der Veröffentlichungsfrist)
auf der Internetseite der Gemeinde Eschenburg unter https://www.gemeinde-eschenburg.de/leben-und-wohnen/bauleitplanung eingesehen und heruntergeladen werden. Sie stehen auch über das Internetportal des Landes Hessen unter https://bauleitplanung.hessen.de zur Verfügung.
Dies gilt auch für diese Bekanntmachung.
Zusätzlich zur Veröffentlichung im Internet werden die Unterlagen während der Dienststunden im Rathaus, Nassauer Straße 11, 35713 Eschenburg, Raum E.05, öffentlich ausgelegt.
Öffnungszeiten des Rathauses:
Montag bis Freitag: 8:30 Uhr – 12:00 Uhr
Montag: 14:00 Uhr – 16:30 Uhr
Dienstag und Donnerstag: 14:00 Uhr – 15:30 Uhr
Die Einsicht in die Unterlagen kann auch außerhalb dieser Besuchszeiten nach vorheriger Terminvereinbarung unter Tel. 02774/915-108 erfolgen.
Folgende Unterlagen werden veröffentlicht: Planzeichnung des Bebauungsplanes, textliche Festsetzungen, Begründung, Umweltbericht, Eingriffs- und Ausgleichsplan mit Bilanzierung und die bereits vorliegenden umweltbezogenen Stellungnahmen.
Die Öffentlichkeit kann Stellungnahmen während der Dauer der Veröffentlichungsfrist abgeben.
Die Stellungnahmen sollten elektronisch an folgende Mail-Adresse abgegeben werden: stellungnahmen@buero-zillinger.de.
Bei Bedarf können sie aber auch auf anderem Wege abgegeben werden, zum Beispiel schriftlich, adressiert an die Gemeindeverwaltung Eschenburg, oder zur Niederschrift.
Stellungnahmen, die nicht fristgerecht abgegeben werden, können bei der Beschlussfassung über den Bauleitplan unberücksichtigt bleiben.
Die Stellungnahmen werden ausgewertet und in nicht-öffentlichen und öffentlichen Sitzungen beraten. Die Verarbeitung der personenbezogenen Daten erfolgt nur im Rahmen des Planungsprozesses und im Übrigen unter Beachtung der Datenschutzverordnung.
Der Bebauungsplan wird für den in nachfolgender Abbildung dargestellten Geltungsbereich aufgestellt:
Die Flächen liegen in der Gemarkung Eibelshausen im Gewerbegebiet, Flur 12, und werden wie folgt abgegrenzt:
- Im Norden: Straße „Im Heerfeld“
- Im Osten: Straße „Zum Rommelsberg“
- Im Süden: bebaute Grundstücke (Zum Rommelsberg Nr. 6, Im Krieacker Nr. 1) und, dahinter Straße „Unter dem Rommelsberg“
- Im Westen: Straße „Im Krieacker“
Folgende umweltbezogene Informationen liegen vor:
Ein Umweltbericht wurde erstellt, in dem auf die verschiedenen Schutzgüter, zum Beispiel Boden, Wasser, Flora und Fauna, eingegangen wird.
Der Geltungsbereich liegt im Gebiet von drei erloschenen Bergwerksfelder, in denen Rohstoffvorkommen nachgewiesen wurden. Informationen über Art und örtliche Lage der Nachweise liegen nicht vor.
Östlich des Geltungsbereiches wird eine Grundwasserverunreinigung, ausgelöst von verschiedenen Stoffen (Schwermetalle, LHKW, Diethanolamin), aktuell saniert. Es kann nicht ausgeschlossen werden, dass auch das Grundwasser innerhalb des Geltungsbereiches verunreinigt ist und daher eine Nutzungsgefährdung vorliegt.
Es wird darauf hingewiesen, dass ein Planungsbüro mit der Durchführung des Verfahrens beauftragt wurde.
Eschenburg, 23.05.2024
Der Gemeindevorstand der Gemeinde Eschenburg
gez. Konrad, Bürgermeister
Dokumente
240523 BPlan Im Krieacker OeA 1 Planzeichnung BPlan – Stand 08.02.24
240523 BPlan Im Krieacker OeA 2 TF – Stand 08.02.24
240523 BPlan Im Krieacker OeA 3 BG – Stand 09.02.24
240523 BPlan Im Krieacker OeA 4 UB – Stand 12.02.24
240523 BPlan Im Krieacker OeA 4.1 Eingriffs- Ausgleichsplan – Stand 09.02.24
240523 BPlan Im Krieacker OeA 4.2 Eingriffs- Ausgleichsbilanzierung – Stand 09.02.24
240523 BPlan Im Krieacker OeA 5 umweltbezogene Stellungnahmen
240523 Veröffentlichung Homepage BPlan Im Krieacker Öffentliche Auslegung
__________________________________________________________________________________
Bebauungsplan „Im Seifen“, 1. Änderung
Bekanntmachung der frühzeitigen Beteiligung der Öffentlichkeit gemäß § 3 Abs.1 BauGB
Die Gemeindevertretung hat am 17.11.2022 den Beschluss für die Aufstellung der 1. Änderung des Bebauungsplanes „Im Seifen“ beschlossen. Planziel ist die Reaktivierung des Standortes für den Einzelhandel durch die Ausweisung eines Sondergebietes für den großflächigen Einzelhandel gemäß § 11 BauNVO. Für das Vorhaben wird zudem ein Zielabweichungsverfahren vom Regionalplan Mittelhessen erforderlich. Der Geltungsbereich und die Lage des Plangebietes sind den nachstehenden Übersichtskarten zu entnehmen.
Gemäß § 2 Abs. 4 und § 2a BauGB wird eine Umweltprüfung für das Bauleitplanverfahren durchgeführt, in der die voraussichtlich erheblichen Umwelteinwirkungen ermittelt und in einem Umweltbericht beschrieben und bewertet werden.
In Ausführung des § 3 Abs. 1 BauGB (frühzeitige Beteiligung der Öffentlichkeit) sind die Planunterlagen zu dem Vorentwurf des Bebauungsplanes mitsamt Begründung und den integrierten bauordnungsrechtlichen Gestaltungsvorschriften (Satzung gemäß § 9 Abs. 4 BauGB i.V.m. § 91 HBO) sowie der Inhalt dieser Bekanntmachung während der Veröffentlichungsfrist
vom 11.12.2023 bis einschließlich 20.01.2024
im Internet auf der Homepage der Gemeinde Eschenburg unter dem Link https://www.gemeinde-eschenburg.de/leben-und-wohnen/bauleitplanung/ einsehbar. Alle Planunterlagen können auch im Internet über das Landesportal unter https://bauleitplanung.hessen.de/ abgerufen werden.
Während der Dauer der o.g. Veröffentlichungsfrist kann sich die Öffentlichkeit über die allgemeinen Ziele und Zwecke der Planung unterrichten und es besteht Gelegenheit zur Äußerung und Erörterung. Es können Stellungnahmen abgegeben werden. Die Stellungnahmen sollen elektronisch übermittelt werden (via E-Mail an info@eschenburg.de oder info@fischer-plan.de), können bei Bedarf aber auch auf anderem Weg abgegeben werden. Es wird darauf hingewiesen, dass nicht fristgerecht abgegebene Stellungnahmen bei der Beschlussfassung über die Bauleitplanung unberücksichtigt bleiben können.
Als andere leicht zu erreichende Zugangsmöglichkeit liegen die o. g. Planunterlagen während der Dienststunden mit Publikumsverkehr im Rathaus der Gemeinde Eschenburg, Ortsteil Eibelshausen, Nassauer Straße 11, 35713 Eschenburg, Raum E.05 zu jedermanns Einsicht öffentlich aus.
Ein Besuch im Rathaus ist zurzeit nur nach vorheriger Terminabsprache (Tel.: 02774-915108) während der Öffnungszeiten möglich.
Die Öffnungszeiten des Rathauses sind:
Montag bis Freitag: 08:30 Uhr bis 12:00 Uhr
Montag: 14:00 Uhr bis 16:30 Uhr
Dienstag und Donnerstag: 14:00 Uhr bis 15:30 Uhr
Termine können auch für außerhalb dieser Zeiten vereinbart werden.
Die Stellungnahmen werden ausgewertet und in nicht-öffentlichen und öffentlichen Sitzungen beraten. Die Verarbeitung der personenbezogenen Daten erfolgt nur im Rahmen des Planungsprozesses und im Übrigen unter Beachtung der Datenschutzgrundverordnung.
Die Gemeinde Eschenburg hat gemäß § 4b BauGB ein Planungsbüro mit der Vorbereitung und Durchführung von Verfahrensschritten nach den §§ 2a bis 4a BauGB beauftragt.
Übersichtskarte 1: Lage im Gemeindegebiet

Übersichtskarte 2: Geltungsbereich

Dokumente:
231207 1 V_BP_Neubau_Nahversorgung-Plankarte – Stand 25.10.23
231207 2 V_TF_Im Seifen 1. Änderung – Stand 25.10.23
231207 3 V_BG_Im Seifen 1. Änderung – Stand 25.10.23
231207 4 Auswirkungsanalyse GMA – Stand 14.07.23
Eschenburg, 07.12.2023
Der Gemeindevorstand der Gemeinde Eschenburg
gez. Konrad, Bürgermeister
Bebauungsplan „Im Krieacker“, Gemarkung Eibelshausen
- Aufstellungsbeschluss gemäß § 2 (1) Baugesetzbuch (BauGB)
- Allgemeine Ziele und Zwecke
- Beteiligung der Öffentlichkeit gemäß § 3 (1) BauGB
Aufstellungsbeschluss gemäß § 2 (1) BauGB
Die Gemeindevertretung hat die Aufstellung des o.g. Planes beschlossen. Die Grenzen des Geltungsbereiches sind aus nachfolgender Abbildung ersichtlich.

Die Flächen liegen in der Gemarkung Eibelshausen im Gewerbegebiet, Flur 12, und werden wie folgt abgegrenzt:
- Im Norden: Straße „Im Heerfeld“
- Im Osten: Straße „Zum Rommelsberg“
- Im Süden: bebaute Grundstücke (Zum Rommelsberg Nr. 6, Im Krieacker Nr. 1) und, dahinter Straße „Unter dem Rommelsberg“
- Im Westen: Straße „Im Krieacker“
Allgemeine Ziele und Zwecke
Die Flächen des Bebauungsplanes liegen innerhalb des Geltungsbereiches des seit 1979 rechtskräftigen Bebauungsplanes „In der Simmersbach Nr. 2“, der daher durch die Aufstellung des Bebauungsplanes „Im Krieacker“ teilweise geändert wird.
Die Änderung ist vorgesehen, da die Produktionsstätten der ansässigen Firma in Richtung Norden, daher in Richtung der Straße „Im Heerfeld“, erweitert werden sollen. Die Produktion ist wegen der beengten Verhältnisse zurzeit nicht optimal möglich.
Durch die Erweiterung werden die im Bebauungsplan festgesetzten Baugrenzen überschritten, sodass die Änderung des Bebauungsplanes zur Behebung der beengten Verhältnisse erforderlich ist.
In den vergangenen Jahren wurden bereits mehrfach Befreiungen erteilt. Die Befreiungen betreffen im Wesentlichen die Firsthöhen und die Baugrenzen.
Die Festsetzung der maximal zulässigen Firsthöhe soll daher nicht übernommen werden. Die Baugrenzen werden angepasst.
Auch die übrigen Festsetzungen des rechtskräftigen Bebauungsplanes werden vollständig überarbeitet.
Der Bebauungsplan „Im Krieacker“, daher die Änderung des rechtskräftigen Bebauungsplanes, schafft daher die planungsrechtlichen Voraussetzungen u.a. für die Optimierung des Betriebsablaufes.
Er dient vor allem der städtebaulichen Ordnung im Planbereich.
Der Geltungsbereich umfasst die bebauten Grundstücksflächen der Firma sowie unbebaute Flächen, die für die Erweiterung ebenfalls genutzt werden sollen.
Beteiligung der Öffentlichkeit gemäß § 3 (1) BauGB
Die Unterlagen der Bauleitplanungen werden zur Unterrichtung über die allgemeinen Ziele und Zwecke der Planungen und der voraussichtlichen Auswirkungen in der Zeit
vom 04.12.2023 bis einschließlich 22.12.2023
während der Dienststunden mit Publikumsverkehr im Rathaus, Nassauer Straße 11, 35713 Eschenburg, Raum E.05 öffentlich ausgelegt.
Zusätzlich können die Unterlagen auf der Internetseite der Gemeinde Eschenburg unter https://www.gemeinde-eschenburg.de/leben-und-wohnen/bauleitplanung bis mindestens 19.01.2023 eingesehen und heruntergeladen werden. Sie stehen auch über das Internetportal des Landes Hessen unter https://bauleitplanung.hessen.de zur Verfügung.
Bei den Unterlagen handelt es sich um die Planzeichnung, die textlichen Festsetzungen, die Begründung, den Umweltbericht und die Eingriffs- und Ausgleichsbilanzierung einschließlich Plan.
Der Umweltbericht wurde nach dem Beschluss, der in der Gemeindevertretung zur Beteiligung der Öffentlichkeit gefasst wurde, erstellt. Er liegt dennoch zur weiteren Information vor allem bezüglich der Umweltbelange als Vorabzug bei.
Auch diese Bekanntmachung kann eingesehen werden.
Ein Besuch im Rathaus ist zurzeit nur nach vorheriger Terminabsprache (Tel.: 02774-915108) während der Öffnungszeiten möglich.
Die Öffnungszeiten des Rathauses sind:
Montag bis Freitag: 8:30 Uhr – 12:00 Uhr
Montag: 14:00 Uhr – 16:30 Uhr
Dienstag und Donnerstag: 14:00 Uhr – 15:30 Uhr
Termine können für außerhalb dieser Zeiten vereinbart werden.
Während des o.g. Zeitraumes (04.12.2023 bis 22.12.2023) hat die Öffentlichkeit auch Gelegenheit zur Äußerung und Erörterung.
Die Öffentlichkeit kann sich informieren und durch Wünsche und Anregungen die Planung beeinflussen.
Die Öffentlichkeit kann Stellungnahmen bis zum 19.01.2023 abgeben.
Die Stellungnahmen sollten elektronisch an folgende Mail-Adresse abgegeben werden: stellungnahmen@buero-zillinger.de.
Bei Bedarf können sie aber auch auf anderem Wege abgegeben werden, zum Beispiel schriftlich, adressiert an die Gemeindeverwaltung der Gemeinde Eschenburg oder zur Niederschrift.
Stellungnahmen, die nicht fristgerecht abgegeben werden, können bei der Beschlussfassung über den Bauleitplan unberücksichtigt bleiben.
Die Stellungnahmen werden ausgewertet und in nicht-öffentlichen und öffentlichen Sitzungen beraten. Die Verarbeitung der personenbezogenen Daten erfolgt nur im Rahmen des Planungsprozesses und im Übrigen unter Beachtung der Datenschutzverordnung.
Es wird darauf hingewiesen, dass ein Planungsbüro mit der Durchführung des Verfahrens beauftragt wurde.
Dokumente:
- 231130 Bekanntmachung Homepage Aufstellungsbeschluss und Beteiligung Öffentlichkeit BPlan Im Krieacker Eibelshausen
- 231130 1 Planzeichnung BPlan Im Krieacker – Stand 12.10.2023
- 231130 2 TF Planzeichnung BPlan Im Krieacker – Stand 24.10.2023
- 231130 3 Begründung BPlan Im Krieacker – Stand 25.10.2023
- 231130 4 Eingriffs- und Ausgleichsbilanzierung BPlan Krieacker
- 231130 5 Eingriffs- und Ausgleichsplan BPlan Im Krieacker
- 231130 6 Umweltbericht BPlan Im Krieacker
Eschenburg, 30.11.2023
Der Gemeindevorstand der Gemeinde Eschenburg
gez. Konrad, Bürgermeister
Bebauungsplan „Feuerwehrgerätehaus“, Gemarkung Eiershausen
(ehemals Bebauungsplan „Neubau Kindertagesstätte“)
Öffentliche Auslegung gemäß § 3 Abs. 2 BauGB
Die Gemeindevertretung der Gemeinde Eschenburg hat v. g. Entwurf des Bebauungsplanes einschl. Begründung zur öffentlichen Auslegung beschlossen. Die ursprüngliche Planung „Bau einer Kindertagesstätte“ wurde aufgegeben. Stattdessen soll ein Feuerwehrgerätehaus errichtet werden. Der Name der Bauleitplanung wurde daher von „Neubau Kindertagesstätte“ in „Feuerwehrgerätehaus“ geändert.
Die Beteiligung der Öffentlichkeit gemäß § 3 (1) BauGB wurde im April 2020 durchgeführt. Die eingegangenen Stellungnahmen wurden ausgewertet und, soweit erforderlich, in die Bauleitplanung aufgenommen.
Die Unterlagen der Bauleitplanung werden in der Zeit
vom 13.11.2023 bis einschließlich 22.12.2023 (Dauer der Veröffentlichungsfrist)
auf der Internetseite der Gemeinde Eschenburg unter https://www.gemeinde-eschenburg.de/leben-und-wohnen/bauleitplanung veröffentlicht und stehen unter dem Internetportal des Landes Hessen unter https://bauleitplanung.hessen.de/ zur Verfügung. Sie können eingesehen bzw. im PDF-Format heruntergeladen werden.
Folgende Unterlagen werden öffentlich ausgelegt: Planzeichnung des Bebauungsplanes, textliche Festsetzungen, Begründung, Umweltbericht mit Biotoptypenkartierung, faunistisch-floristischen Kartierungen und artenschutzrechtlichem Fachbeitrag sowie Eingriffs- und Ausgleichsbilanzierung und die bereits vorliegenden umweltbezogenen Stellungnahmen.
Auch diese Bekanntmachung kann eingesehen werden.
Zusätzlich zur Veröffentlichung im Internet werden die Unterlagen während der Dienststunden mit Publikumsverkehr im Rathaus, Nassauer Straße 11, 35713 Eschenburg, Raum E.05 öffentlich ausgelegt.
Ein Besuch im Rathaus ist zurzeit nur nach vorheriger Terminabsprache (Tel.: 02774-915108) während der Öffnungszeiten möglich. Die Öffnungszeiten des Rathauses sind:
Montag bis Freitag: 8:30 Uhr – 12:00 Uhr
Montag: 14:00 Uhr – 16:30 Uhr
Dienstag und Donnerstag: 14:00 Uhr – 15:30 Uhr
Termine können für außerhalb dieser Zeiten ausnahmsweise ebenfalls vereinbart werden. Aus jetziger Sicht gibt es grundsätzlich keinen wichtigen Grund den Bauleitplan länger als einen Monat auszulegen. Ungeachtet dessen wurde die Dauer der Veröffentlichungsfrist etwas länger gewählt.
Die Öffentlichkeit kann Stellungnahmen bis 12.01.2024 abgeben.
Die Stellungnahmen sollten elektronisch an folgende Mail-Adresse abgegeben werden: stellungnahmen@buero-zillinger.de. Bei Bedarf können sie aber auch auf anderem Wege abgegeben werden, zum Beispiel schriftlich, adressiert an die Gemeindeverwaltung der Gemeinde Eschenburg oder zur Niederschrift.
Stellungnahmen, die nicht bis 12.01.2024 abgegeben werden, können bei der Beschlussfassung über den Bauleitplan unberücksichtigt bleiben.
Die Stellungnahmen werden ausgewertet und in nicht-öffentlichen und öffentlichen Sitzungen beraten. Die Verarbeitung der personenbezogenen Daten erfolgt nur im Rahmen des Planungsprozesses und im Übrigen unter Beachtung der Datenschutzverordnung.
Der Bebauungsplan wird für den in nachfolgender Abbildung dargestellten Geltungsbereich aufgestellt:

Der Geltungsbereich liegt im Westen der Ortslage Eiershausen im Flur 1. Direkt östlich grenzen die Flächen der vorhandenen Kindertagesstätte an.
Der südlich der Gewässerparzelle vorhandene Feldweg wurde auf einem rd. 500 m langen Abschnitt beginnend am Gewerbegebiet im Westen bis zum Geltungsbereich des geplanten Feuerwehrgerätehauses als Erschließungsstraße in den Geltungsbereich aufgenommen und in Richtung Süden verbreitert. Südwestlich befinden sich landwirtschaftlich genutzte Flächen.
Westlich des Geltungsbereiches befindet sich eine Freizeithütte mit Grünfläche. Dahinter sind ebenfalls landwirtschaftlich genutzte Flächen. Im Norden ist ein Spielplatz vorhanden. Die dahinter liegenden Grundstücke sind bebaut (Schwarzbachstraße 2). Der Neubau eines Feuerwehrgerätehauses für den Ortsteil Eiershausen ist aufgrund der Überprüfung des heutigen Feuerwehrgerätehauses durch den technischen Prüfdienst erforderlich.
Folgende wesentlichen Mängel wurden durch den technischen Prüfdienst mit meist unverzüglichem Handlungsbedarf aufgezeigt:
- Die Anzahl der Stellplätze ist nicht ausreichend.
- Die Torausfahrt des Gerätehauses ist für die vorhandenen Fahrzeuge nicht ausreichend groß
- Eine räumliche Trennung der Umkleide zur Halle ist nicht vorhanden
- Geschlechtsgetrennte Umkleidemöglichkeiten gibt es nicht
- Eine Abgasabsauganlage und eine Notstromeinspeisung sind nicht vorhanden
- In der Fahrzeughalle werden die vorgeschriebenen Sicherheitsabstände zwischen Fahrzeugen und Gebäudeteilen von mindestens 0,5 m nicht eingehalten.
- Die Kellerräume, die von der Jugendfeuerwehr genutzt werden, sind feucht und ohne Lüftung. Die Hygiene dieser Räume ist daher nicht ausreichend.
Wegen dieser erheblichen Mängel, die teilweise am heutigen Standort nicht beseitigt werden können, hat sich die Gemeinde für den Neubau im Geltungsbereich dieses Bebauungsplanes entschlossen.
Folgende umweltbezogene Informationen liegen vor:
Im Januar 2021 wurden eine Biotoptypenkartierung, eine faunistisch-floristische Kartierung und ein artenschutzrechtlicher Fachbeitrag erstellt. Insgesamt wurde der Geltungsbereich an sechs unterschiedlichen Begehungstagen auf Biotoptypen und Flora, Vögel, Reptilien, Tagfalter, Widderchen und Heuschrecken abgesucht. Für den artenschutzrechtlichen Fachbeitrag wurde die Artengruppe Vögel vertieft untersucht.
Fauna und Flora sind deutlich verarmt und die Lebensraumfunktion der Biotoptypen ist mit Ausnahme der Ufersäume entlang des Schwarzebachs erheblich eingeschränkt.
Bei den Flächen des Geltungsbereiches handelt es sich hauptsächlich um Intensivrasen, Schotter-, Kies- u. Sandflächen, -wege, -plätze oder andere wasserdurchlässige Flächenbefestigungen sowie versiegelte Flächen. Auch artenarme oder nitrophytische Ruderalvegetationen wurden kartiert. Insgesamt wird der Geltungsbereich mit einer mittleren Wertstufe belegt.
Die Vegetation des Plangebietes weist keine gefährdeten Pflanzengesellschaften auf und ist aufgrund der intensiven Nutzung bereits stark verarmt. Die Ufer des Schwarzebachs sind teilweise bewachsen. Bestandsgefährdete Arten der Roten Listen oder nach Bundesartenschutzgesetz geschützte Arten wurden nicht nachgewiesen.
Im Rahmen der Untersuchungen konnten im Planungsraum insgesamt 14 Vogelarten nachgewiesen werden. Während der Begehungen wurden im Geltungsbereich z. T. gefährdete und auf der Vorwarnliste stehende Brutvögel in günstigem, ungünstigem und schlechtem Erhaltungszustand beobachtet.
Der stark bedrohte Gartenrotschwanz trat lediglich als Nahrungsgast auf, weswegen er als nicht unmittelbar vom Vorhaben bedroht anzusehen ist. Auch der gefährdete Bluthänfling sowie die auf der Vorwarnliste der gefährdeten Brutvögel Hessens stehenden Klappergrasmücken und Trauerschnäpper brüteten randständig innerhalb der artspezifischen Wirkzone. Diese befindet sich jedoch nicht im direkten Eingriffsbereich.
Da die Fortpflanzungs- und Ruhestätten der genannten Vogelarten nicht in dem direkten Eingriffsbereich liegen, ist eine direkte Betroffenheit ausgeschlossen. Auch die innerhalb der Wirkzone des Vorhabens gelegenen Fortpflanzungs- und Ruhezonen relevanter Arten sind nicht unmittelbar betroffen. Direkte Eingriffe werden durch entsprechende Vorgaben in dem Bebauungsplan vermieden.
Die beobachteten Reviervogelarten sind vornehmlich weit verbreitete Vogelarten mit nur geringem Gefährdungspotential. Zur Untersuchung der Tagfalter wurde das Gelände im Zusammenhang mit den anderen Begehungen untersucht. Dabei konnten im Planungsraum vereinzelt sehr häufig auftretende Tagfalterarten nachgewiesen werden. Keine der genannten Arten gilt in Deutschland oder Hessen als gefährdet.
Die Flächen des Plangebietes sind für Reptilien und Amphibien als ungeeignet einzustufen.
Weitere umweltbezogene Informationen liegen aus der Beteiligung der Behörden vor:
- Für die geplante Einleitung von Niederschlagswasser in den Schwarzbach ist ein wasserrechtliches Verfahren erforderlich.
- Der Geltungsbereich liegt teilweise im Bereich der Altablagerung „Festplatz“ (AFD-Nr. 532.009.020-000.014).
Bei der Altablagerung handelt es sich um eine stillgelegte Deponie für Erdaushub und Bauschutt. Durch die geänderten Nutzungsabsichten bedarf es jedoch weiterer Untersuchungen des Bodens.
Bei Bodenaushubarbeiten sollte auf Bodenveränderungen hinsichtlich Farbe und Geruch geachtet werden.
- Aufgrund der topographischen Lage der angrenzenden landwirtschaftlichen Flächen kann es zu Bodenerosionen und somit zu schädlichen Bodenveränderungen kommen.
- Von den Kindern können störende Geräuschpegel ausgehen.
- Der Geltungsbereich liegt im Gebiet von vier erloschenen Bergwerksfeldern, in denen Bergbau betrieben und das Rohstoffvorkommen nachgewiesen wurde. Die bergbaulichen Arbeiten liegen außerhalb des Geltungsbereiches. Dennoch ist bei Baumaßnahmen auf Spuren alten Bergbaues zu achten, gegebenen Falles sind entsprechende Sicherungsmaßnahmen zu treffen.
- Die Ausweisung einer Kompensationsfläche ist erforderlich.
- Der Gewässerrandstreifen ist zu beachten.
Zu 1.:
Ein entsprechender Hinweis wurde in die Begründung aufgenommen.
Zu 2.:
Gemäß Abstimmung mit dem Regierungspräsidium ist die Untersuchung vor Beginn der Baumaßnahme durchzuführen. Diese Abstimmung erfolgte allerdings zu einem Zeitpunkt, als noch eine Kindertagesstätte am Standort geplant war. Für den Feuerwehrgerätestandort besteht ein geringeres Schutzbedürfnis.
Die Planung wurde um entsprechende Hinweise ergänzt.
Zu 3.:
Von einer etwaigen Bodenerosion, ausgehend von den landwirtschaftlichen Flächen, kann nur die Erschließungsstraße betroffen sein. Die übrigen Flächen des Geltungsbereiches werden durch ein Gewässer getrennt und liegen daher außerhalb eines Gefährdungsbereiches.
Zu 4.:
Eine Kindertagesstätte ist nicht mehr vorgesehen.
Zu 5.:
Ein entsprechender Hinweis wurde in die Planung aufgenommen.
Zu 6.:
Eine Eingriffs- und Ausgleichsbilanzierung wurde erstellt. Das Defizit soll durch eine Maßnahme, die bereits realisiert ist, daher eine Maßnahme aus dem Ökopunktekonto, ausgeglichen werden.
Zu 7.:
Der Gewässerrandstreifen ist im Bebauungsplan nachrichtlich eingetragen. Auch wird er teilweise als Ausgleichsmaßnahme festgesetzt.
Es wird darauf hingewiesen, dass ein Planungsbüro mit der Durchführung des Verfahrens beauftragt wurde.
Dokumente:
231109 BPlan FFW Eiershausen ÖA 1 B-Plan Feuerwehrgerätehaus Eiershausen – Stand 15.06.23
231109 BPlan FFW Eiershausen ÖA 2 TF B-Plan Feuerwehr Eiershausen – Stand 15.06.23
231109 BPlan FFW Eiershausen ÖA 3 BG B-Plan Feuerwehr Eiershausen – Stand 15.06.23
231109 BPlan FFW Eiershausen ÖA 4 Umweltbericht B-Plan Feuerwehr Eiershausen – Stand 15.06.23
231109 BPlan FFW Eiershausen ÖA 4.1 Gutachten B.-Plan Kita Eiershausen Fauna-Flora_ASB
231109 BPlan FFW Eiershausen ÖA 4.1.1 Eiershausen Kita Bestands- und Konfliktplan
231109 BPlan FFW Eiershausen ÖA 4.1.2 Eiershausen Kita Bestandsbewertung
231109 BPlan FFW Eiershausen ÖA 4.2 Eingriffs- u. Ausgleichsplan Feuerwehrgerätehaus Eiershausen
231109 BPlan FFW Eiershausen ÖA 5 umweltbezogene Stellungnahmen Bebauungsplan Feuerwehrgerätehaus
231109 Veröffentlichung Homepage BPlan FFW Eiershausen Öffentliche Auslegung
Eschenburg, 09.11.2023
Der Gemeindevorstand der Gemeinde Eschenburg
gez. Konrad, Bürgermeister
Flächennutzungsplan-Änderung „Feuerwehrgerätehaus“, Gemarkung Eiershausen
(ehemals Flächennutzungsplan-Änderung „Neubau Kindertagesstätte“)
Öffentliche Auslegung gemäß § 3 Abs. 2 BauGB
Die Gemeindevertretung der Gemeinde Eschenburg hat v. g. Entwurf der Flächennutzungsplan-Änderung einschl. Begründung zur öffentlichen Auslegung beschlossen. Die ursprüngliche Planung „Bau einer Kindertagesstätte“ wurde aufgegeben. Stattdessen soll ein Feuerwehrgerätehaus errichtet werden. Der Name der Bauleitplanung wurde daher von „Neubau Kindertagesstätte“ in „Feuerwehrgerätehaus“ geändert.
Die Beteiligung der Öffentlichkeit gemäß § 3 (1) BauGB wurde im April 2020 durchgeführt. Die eingegangenen Stellungnahmen wurden ausgewertet und, soweit erforderlich, in die Bauleitplanung aufgenommen.
Die Unterlagen der Bauleitplanung werden in der Zeit
vom 13.11.2023 bis einschließlich 22.12.2023 (Dauer der Veröffentlichungsfrist)
auf der Internetseite der Gemeinde Eschenburg unter https://www.gemeinde-eschenburg.de/leben-und-wohnen/bauleitplanung veröffentlicht und stehen unter dem Internetportal des Landes Hessen unter https://bauleitplanung.hessen.de/ zur Verfügung. Sie können eingesehen bzw. im PDF-Format heruntergeladen werden.
Folgende Unterlagen werden öffentlich ausgelegt: Planzeichnung der Flächennutzungsplan-Änderung, Begründung, Umweltbericht der Flächennutzungsplan-Änderung und des Bebauungsplanes und die bereits vorliegenden umweltbezogenen Stellungnahmen.
Auch diese Bekanntmachung kann eingesehen werden.
Zusätzlich zur Veröffentlichung im Internet werden die Unterlagen während der Dienststunden mit Publikumsverkehr im Rathaus, Nassauer Straße 11, 35713 Eschenburg, Raum E.05 öffentlich ausgelegt.
Ein Besuch im Rathaus ist zurzeit nur nach vorheriger Terminabsprache (Tel.: 02774-915108) während der Öffnungszeiten möglich.
Die Öffnungszeiten des Rathauses sind:
Montag bis Freitag: 8:30 Uhr – 12:00 Uhr
Montag: 14:00 Uhr – 16:30 Uhr
Dienstag und Donnerstag: 14:00 Uhr – 15:30 Uhr
Termine können auch außerhalb dieser Zeiten vereinbart werden.
Aus jetziger Sicht gibt es grundsätzlich keinen wichtigen Grund den Bauleitplan länger als einen Monat auszulegen. Ungeachtet dessen wurde die Dauer der Veröffentlichungsfrist etwas länger gewählt.
Die Öffentlichkeit kann Stellungnahmen bis 12.01.2024 abgeben.
Die Stellungnahmen sollten elektronisch an folgende Mail-Adresse abgegeben werden: stellungnahmen@buero-zillinger.de. Bei Bedarf können sie aber auch auf anderem Wege abgegeben werden, zum Beispiel schriftlich, adressiert an die Gemeindeverwaltung der Gemeinde Eschenburg oder zur Niederschrift.
Stellungnahmen, die nicht bis 12.01.2024 abgegeben werden, können bei der Beschlussfassung über den Bauleitplan unberücksichtigt bleiben.
Die Stellungnahmen werden ausgewertet und in nicht-öffentlichen und öffentlichen Sitzungen beraten. Die Verarbeitung der personenbezogenen Daten erfolgt nur im Rahmen des Planungsprozesses und im Übrigen unter Beachtung der Datenschutzverordnung.
Eine Vereinigung im Sinne des § 4 Abs. 3 Satz 1 Nr. 2 des Umwelt-Rechtsbehelfsgesetzes in einem Rechtsbehelfsverfahren nach § 7 Abs. 2 des Umwelt-Rechtsbehelfsgesetzes gemäß § 7 Abs. 3 Satz 1 des Umwelt-Rechtsbehelfsgesetzes ist mit allen Einwendungen ausgeschlossen, die im Rahmen der Auslegungsfrist nicht oder nicht rechtzeitig geltend gemacht wurden, aber hätten geltend machen können (§ 3 Abs. 3 BauGB).
Die Flächennutzungsplan-Änderung wird für den in nachfolgender Abbildung dargestellten Geltungsbereich aufgestellt:

Der Geltungsbereich liegt im Westen der Ortslage Eiershausen im Flur 1. Direkt östlich grenzen die Flächen der vorhandenen Kindertagesstätte an. Südwestlich befinden sich landwirtschaftlich genutzte Flächen. Westlich des Geltungsbereiches befindet sich eine Freizeithütte mit Grünfläche. Dahinter sind ebenfalls landwirtschaftlich genutzte Flächen. Im Norden ist ein Spielplatz vorhanden. Die dahinter liegenden Grundstücke sind bebaut (Schwarzbachstraße 2). Der Neubau eines Feuerwehrgerätehauses für den Ortsteil Eiershausen ist aufgrund der Überprüfung des heutigen Feuerwehrgerätehauses durch den technischen Prüfdienst erforderlich. Folgende wesentlichen Mängel wurden durch den technischen Prüfdienst mit meist unverzüglichem Handlungsbedarf aufgezeigt:
- Die Anzahl der Stellplätze ist nicht ausreichend.
- Die Torausfahrt des Gerätehauses ist für die vorhandenen Fahrzeuge nicht ausreichend groß
- Eine räumliche Trennung der Umkleide zur Halle ist nicht vorhanden
- Geschlechtsgetrennte Umkleidemöglichkeiten gibt es nicht
- Eine Abgasabsauganlage und eine Notstromeinspeisung sind nicht vorhanden
- In der Fahrzeughalle werden die vorgeschriebenen Sicherheitsabstände zwischen Fahrzeugen und Gebäudeteilen von mindestens 0,5 m nicht eingehalten.
- Die Kellerräume, die von der Jugendfeuerwehr genutzt werden, sind feucht und ohne Lüftung. Die Hygiene dieser Räume ist daher nicht ausreichend.
Wegen dieser erheblichen Mängel, die teilweise am heutigen Standort nicht beseitigt werden können, hat sich die Gemeinde für den Neubau im Geltungsbereich dieses Bebauungsplanes entschlossen.
Folgende umweltbezogene Informationen liegen vor:
Im Januar 2021 wurden eine Biotoptypenkartierung, eine faunistisch-floristische Kartierung und ein artenschutzrechtlicher Fachbeitrag erstellt. Insgesamt wurde der Geltungsbereich an sechs unterschiedlichen Begehungstagen auf Biotoptypen und Flora, Vögel, Reptilien, Tagfalter, Widderchen und Heuschrecken abgesucht. Für den artenschutzrechtlichen Fachbeitrag wurde die Artengruppe Vögel vertieft untersucht.
Fauna und Flora sind deutlich verarmt und die Lebensraumfunktion der Biotoptypen ist mit Ausnahme der Ufersäume entlang des Schwarzebachs erheblich eingeschränkt.
Bei den Flächen des Geltungsbereiches handelt es sich hauptsächlich um Intensivrasen, Schotter-, Kies- u. Sandflächen, -wege, -plätze oder andere wasserdurchlässige Flächenbefestigungen sowie versiegelte Flächen. Auch artenarme oder nitrophytische Ruderalvegetationen wurden kartiert. Insgesamt wird der Geltungsbereich mit einer mittleren Wertstufe belegt.
Die Vegetation des Plangebietes weist keine gefährdeten Pflanzengesellschaften auf und ist aufgrund der intensiven Nutzung bereits stark verarmt. Die Ufer des Schwarzebachs sind teilweise bewachsen. Bestandsgefährdete Arten der Roten Listen oder nach Bundesartenschutzgesetz geschützte Arten wurden nicht nachgewiesen.
Im Rahmen der Untersuchungen konnten im Planungsraum insgesamt 14 Vogelarten nachgewiesen werden. Während der Begehungen wurden im Geltungsbereich z. T. gefährdete und auf der Vorwarnliste stehende Brutvögel in günstigem, ungünstigem und schlechtem Erhaltungszustand beobachtet. Der stark bedrohte Gartenrotschwanz trat lediglich als Nahrungsgast auf, weswegen er als nicht unmittelbar vom Vorhaben bedroht anzusehen ist. Auch der gefährdete Bluthänfling sowie die auf der Vorwarnliste der gefährdeten Brutvögel Hessens stehenden Klappergrasmücken und Trauerschnäpper brüteten randständig innerhalb der artspezifischen Wirkzone. Diese befindet sich jedoch nicht im direkten Eingriffsbereich. Da die Fortpflanzungs- und Ruhestätten der genannten Vogelarten nicht in dem direkten Eingriffsbereich liegen, ist eine direkte Betroffenheit ausgeschlossen. Auch die innerhalb der Wirkzone des Vorhabens gelegenen Fortpflanzungs- und Ruhezonen relevanter Arten sind nicht unmittelbar betroffen. Direkte Eingriffe werden durch entsprechende Vorgaben in dem Bebauungsplan vermieden. Die beobachteten Reviervogelarten sind vornehmlich weit verbreitete Vogelarten mit nur geringem Gefährdungspotential.
Zur Untersuchung der Tagfalter wurde das Gelände im Zusammenhang mit den anderen Begehungen untersucht. Dabei konnten im Planungsraum vereinzelt sehr häufig auftretende Tagfalterarten nachgewiesen werden. Keine der genannten Arten gilt in Deutschland oder Hessen als gefährdet. Die Flächen des Plangebietes sind für Reptilien und Amphibien als ungeeignet einzustufen.
Weitere umweltbezogene Informationen liegen aus der Beteiligung der Behörden vor:
- Für die geplante Einleitung von Niederschlagswasser in den Schwarzbach ist ein wasserrechtliches Verfahren erforderlich.
- Der Geltungsbereich liegt teilweise im Bereich der Altablagerung „Festplatz“ (AFD-Nr. 532.009.020-000.014).
Bei der Altablagerung handelt es sich um eine stillgelegte Deponie für Erdaushub und Bauschutt. Durch die geänderten Nutzungsabsichten bedarf es jedoch weiterer Untersuchungen des Bodens. Bei Bodenaushubarbeiten sollte auf Bodenveränderungen hinsichtlich Farbe und Geruch geachtet werden.
- Aufgrund der topographischen Lage der angrenzenden landwirtschaftlichen Flächen kann es zu Bodenerosionen und somit zu schädlichen Bodenveränderungen kommen.
- Von den Kindern können störende Geräuschpegel ausgehen.
- Der Geltungsbereich liegt im Gebiet von vier erloschenen Bergwerksfeldern, in denen Bergbau betrieben und das Rohstoffvorkommen nachgewiesen wurde. Die bergbaulichen Arbeiten liegen außerhalb des Geltungsbereiches. Dennoch ist bei Baumaßnahmen auf Spuren alten Bergbaues zu achten, gegebenen Falles sind entsprechende Sicherungsmaßnahmen zu treffen.
Zu 1.:
Ein entsprechender Hinweis wurde in die Begründung aufgenommen.
Zu 2.:
Gemäß Abstimmung mit dem Regierungspräsidium ist die Untersuchung vor Beginn der Baumaßnahme durchzuführen. Diese Abstimmung erfolgte allerdings zu einem Zeitpunkt, als noch eine Kindertagesstätte am Standort geplant war. Für den Feuerwehrgerätestandort besteht ein geringeres Schutzbedürfnis.
Die Planung wurde um entsprechende Hinweise ergänzt.
Zu 3.:
Von einer etwaigen Bodenerosion, ausgehend von den landwirtschaftlichen Flächen, kann nur die Erschließungsstraße betroffen sein. Die übrigen Flächen des Geltungsbereiches werden durch ein Gewässer getrennt und liegen daher außerhalb eines Gefährdungsbereiches.
Zu 4.:
Eine Kindertagesstätte ist nicht mehr vorgesehen.
Zu 5.:
Ein entsprechender Hinweis wurde in die Planung aufgenommen.
Es wird darauf hingewiesen, dass ein Planungsbüro mit der Durchführung des Verfahrens beauftragt wurde.
Dokumente:
231109 FNP Änderung FFW Eiershausen ÖA 1 F-Plan Feuerwehrgerätehaus Eiershausen – Stand 15.06.23
231109 FNP Änderung FFW Eiershausen ÖA 2 BG F-Plan-Änderung Feuerwehr Eiershausen – Stand 15.06.23
231109 FNP Änderung FFW Eiershausen ÖA 3 Umweltbericht F-Plan-Änderung Feuerwehr – Stand 15.06.23
231109 FNP Änderung FFW Eiershausen ÖA 3a Umweltbericht B-Plan Feuerwehr – Stand 15.06.23
231109 Veröffentlichung Homepage FNP Änderung FFW Eiershausen Öffentliche Auslegung
Eschenburg, 09.11.2023
Der Gemeindevorstand der Gemeinde Eschenburg
gez. Konrad, Bürgermeister
Bebauungsplan „Stietefeld/Sonnenstraße“, Gemarkung Roth
Aufstellungsbeschluss gemäß § 2 (1) Baugesetzbuch (BauGB)
Allgemeine Ziele und Zwecke
Beteiligung der Öffentlichkeit gemäß § 3 (1) BauGB
Aufstellungsbeschluss gemäß § 2 (1) BauGB
Die Gemeindevertretung hat die Aufstellung des o.g. Planes beschlossen. Die Grenzen des Geltungsbereiches sind aus nachfolgender Abbildung ersichtlich.

Die Flächen des Geltungsbereiches liegen in der Gemarkung Roth. Südlich grenzen hinter der öffentlichen Straße bebaute Wohnbaugrundstücke (Stietestraße Nummern 12 und 13 sowie Sonnenstraße 9 und 10) an. Am östlichen Geltungsbereichsrand verläuft der Achenbacher Weg. Sowohl in Richtung Nordwesten als auch Nordosten grenzen landwirtschaftliche Flächen an.
Allgemeine Ziele und Zwecke
Durch Aufstellung dieses Bebauungsplanes können insgesamt 5 Baugrundstücke ausgewiesen werden.
Der Bebauungsplan dient vor allem der städtebaulichen Ordnung im Planbereich einschließlich der Erschließung und der erforderlichen grünordnerischen Maßnahmen.
Beteiligung der Öffentlichkeit gemäß § 3 (1) BauGB
Die Unterlagen der Bauleitplanungen werden zur Unterrichtung über die allgemeinen Ziele und Zwecke der Planungen und der voraussichtlichen Auswirkungen in der Zeit
vom 13.11.2023 bis einschl. 15.12.2023
auf der Internetseite der Gemeinde Eschenburg unter https://www.gemeinde-eschenburg.de/leben-und-wohnen/bauleitplanung veröffentlicht und stehen unter dem Internetportal des Landes Hessen unter https://bauleitplanung.hessen.de/ zur Verfügung.
Sie können eingesehen bzw. im PDF-Format heruntergeladen werden.
Dies sind:
- Planzeichnung, textliche Festsetzungen und Begründung
Auch diese Bekanntmachung kann eingesehen werden.
Zusätzlich zur Veröffentlichung im Internet werden die Unterlagen während der Dienststunden mit Publikumsverkehr im Rathaus, Nassauer Straße 11, 35713 Eschenburg, Raum E.05 öffentlich ausgelegt.
Ein Besuch im Rathaus ist zurzeit nur nach vorheriger Terminabsprache (Tel.: 02774-915108) während der Öffnungszeiten möglich.
Die Öffnungszeiten des Rathauses sind:
Montag bis Freitag: 8:30 Uhr – 12:00 Uhr
Montag: 14:00 Uhr – 16:30 Uhr
Dienstag und Donnerstag: 14:00 Uhr – 15:30 Uhr
Termine können auch außerhalb dieser Zeiten vereinbart werden.
Während des o.g. Zeitraumes hat die Öffentlichkeit auch Gelegenheit zur Äußerung und Erörterung. Die Öffentlichkeit kann sich informieren und durch Wünsche und Anregungen die Planung beeinflussen.
Die Öffentlichkeit kann Stellungnahmen während des o.g. Zeitraumes abgeben.
Die Stellungnahmen sollten elektronisch an folgende Mail-Adresse abgegeben werden: stellungnahmen@buero-zillinger.de.
Bei Bedarf können sie aber auch auf anderem Wege abgegeben werden, zum Beispiel schriftlich, adressiert an die Gemeindeverwaltung der Gemeinde Eschenburg oder zur Niederschrift. Stellungnahmen, die nicht fristgerecht abgegeben werden, können bei der Beschlussfassung über den Bauleitplan unberücksichtigt bleiben. Die Stellungnahmen werden ausgewertet und in nicht-öffentlichen und öffentlichen Sitzungen beraten. Die Verarbeitung der personenbezogenen Daten erfolgt nur im Rahmen des Planungsprozesses und im Übrigen unter Beachtung der Datenschutzverordnung.
Es wird darauf hingewiesen, dass ein Planungsbüro mit der Durchführung des Verfahrens beauftragt wurde.
Dokumente:
231109 1 B-Plan Stietefeld_Sonnenstraße – Stand 21.08.23
231109 2 TF BPlan StietefeldSonnenstraße – Stand 29.08.23
231109 3 Begründung BPlan Stietefeld Sonnenstraße – Stand 21.09.23
Eschenburg, 09.11.2023
Der Gemeindevorstand der Gemeinde Eschenburg
gez. Konrad, Bürgermeister
Bauleitplanung der Gemeinde Eschenburg in der Gemarkung Eibelshausen
- Flächennutzungsplan-Änderung für den Bereich des Bebauungsplanes „Berliner Straße/Königsberger Straße“ und
- Bebauungsplan „Berliner Straße/Königsberger Straße“
Aufstellungsbeschluss gemäß § 2 (1) Baugesetzbuch (BauGB)
Allgemeine Ziele und Zwecke
Beteiligung der Öffentlichkeit gemäß § 3 (1) BauGB
Aufstellungsbeschluss gemäß § 2 (1) BauGB
Die Gemeindevertretung hat die Aufstellung der o.g. Pläne beschlossen. Die Grenzen des Geltungsbereiches sind aus nachfolgender Abbildung ersichtlich. Sie sind bei beiden Projekten identisch.

Die Flächen des Geltungsbereiches liegen in der Gemarkung Eibelshausen. Südlich grenzen ein bebautes Wohngrundstück (Berliner Straße Nummer 35) sowie ein kleiner Abschnitt der Berliner Straße sowie der Königsberger Straße an.
Allgemeine Ziele und Zwecke
Durch Aufstellung des Bebauungsplanes können insgesamt 4 Baugrundstücke ausgewiesen werden. Im Bebauungsplan ist ein Allgemeines Wohngebiet festgesetzt. Der Bebauungsplan dient vor allem der städtebaulichen Ordnung im Planbereich einschließlich der Erschließung und der erforderlichen grünordnerischen Maßnahmen.
Im rechtswirksamen Flächennutzungsplan ist der Geltungsbereich des Bebauungsplanes als landwirtschaftliche Fläche sowie als Wegeparzelle dargestellt. Die Änderung des Flächennutzungsplanes ist erforderlich, damit der Bebauungsplan aus dem rechtswirksamen Flächennutzungsplan entwickelt ist. Die Änderung des Flächennutzungsplanes beinhaltet die Darstellung einer Wohnbaufläche.
Beteiligung der Öffentlichkeit gemäß § 3 (1) BauGB
Die Unterlagen der Bauleitplanungen werden zur Unterrichtung über die allgemeinen Ziele und Zwecke der Planungen und der voraussichtlichen Auswirkungen in der Zeit
vom 13.11.2023 bis einschl. 15.12.2023
auf der Internetseite der Gemeinde Eschenburg unter https://www.gemeinde-eschenburg.de/leben-und-wohnen/bauleitplanung veröffentlicht und stehen unter dem Internetportal des Landes Hessen unter https://bauleitplanung.hessen.de/ zur Verfügung.
Sie können eingesehen bzw. im PDF-Format heruntergeladen werden.
Dies sind:
- Flächennutzungsplanänderung: Planzeichnung und Begründung
- Bebauungsplan: Planzeichnung, textliche Festsetzungen, Begründung und artenschutzrechtlicher Fachbeitrag mit Bestands- und Konfliktplan, Bewertungsplan sowie Anhang 1 (Tabelle zur Darstellung der Betroffenheit allgemein häufiger Vogelarten)
Auch diese Bekanntmachung kann eingesehen werden.
Zusätzlich zur Veröffentlichung im Internet werden die Unterlagen während der Dienststunden mit Publikumsverkehr im Rathaus, Nassauer Straße 11, 35713 Eschenburg, Raum E.05 öffentlich ausgelegt.
Ein Besuch im Rathaus ist zurzeit nur nach vorheriger Terminabsprache (Tel.: 02774-915108) während der Öffnungszeiten möglich.
Die Öffnungszeiten des Rathauses sind:
Montag bis Freitag: 8:30 Uhr – 12:00 Uhr
Montag: 14:00 Uhr – 16:30 Uhr
Dienstag und Donnerstag: 14:00 Uhr – 15:30 Uhr
Termine können auch außerhalb dieser Zeiten vereinbart werden. Während des o.g. Zeitraumes hat die Öffentlichkeit auch Gelegenheit zur Äußerung und Erörterung. Die Öffentlichkeit kann sich informieren und durch Wünsche und Anregungen die Planung beeinflussen. Die Öffentlichkeit kann Stellungnahmen während des o.g. Zeitraumes abgeben. Die Stellungnahmen sollten elektronisch an folgende Mail-Adresse abgegeben werden: stellungnahmen@buero-zillinger.de.
Bei Bedarf können sie aber auch auf anderem Wege abgegeben werden, zum Beispiel schriftlich, adressiert an die Gemeindeverwaltung der Gemeinde Eschenburg oder zur Niederschrift. Stellungnahmen, die nicht fristgerecht abgegeben werden, können bei der Beschlussfassung über den Bauleitplan unberücksichtigt bleiben.
Die Stellungnahmen werden ausgewertet und in nicht-öffentlichen und öffentlichen Sitzungen beraten. Die Verarbeitung der personenbezogenen Daten erfolgt nur im Rahmen des Planungsprozesses und im Übrigen unter Beachtung der Datenschutzverordnung. Es wird darauf hingewiesen, dass ein Planungsbüro mit der Durchführung des Verfahrens beauftragt wurde.
Dokumente:
231109 1 B-Plan Berliner Str._Königsberger Str – Stand 21.08.23
231109 2 TF BPlan Berliner Straße Königsberger Straße – Stand 29.08.23
231109 3 Begründung BPlan Berliner Straße Königsberger Straße – Stand 21.09.23
231109 4 Gutachten BPlan Berliner Straße – Stand März 23
231109 4.1 Bestandsplan Berliner Straße
231109 4.2 Bewertungsplan Berliner Straße
231109 4.3 ASB Berliner Straße Anhang1 Tabelle häufiger Vögel
231109 Begründung FPlanÄnderung Berliner Straße Königsberger Straße – Stand 08.08.23
231109 F-Plan Berliner Str._Königsberger Str – Stand 08.08.23
Eschenburg, 09.11.2023
Der Gemeindevorstand der Gemeinde Eschenburg
gez. Konrad, Bürgermeister
Bekanntmachung über die Aufhebung des Aufstellungsbeschlusses für den Bebauungsplan „Auf den Zäun“ in der Gemarkung Eschenburg, Ortsteil Eiershausen vom 06.10.2022
Die Gemeindevertretung der Gemeinde Eschenburg hat aufgrund der Eigentümerverhandlungen in ihrer öffentlichen Sitzung am 28.09.2023 gem. § 2 BauGB die Aufhebung des Aufstellungsbeschlusses vom 06.10.2022 zum Bebauungsplan „Auf den Zäun“ in der Gemarkung Eschenburg, Ortsteil Eiershausen beschlossen. Der räumliche Geltungsbereich ist der nachfolgenden Übersichtskarte zu entnehmen.

Eschenburg, den 12.10.2023
Der Gemeindevorstand der Gemeinde Eschenburg
gez. Konrad,
Bürgermeister
Bebauungsplan „Photovoltaikanlage Schiebelacker“, Gemarkung Roth
Aufstellungsbeschluss gemäß § 2 (1) Baugesetzbuch (BauGB)
Allgemeine Ziele und Zwecke
Beteiligung der Öffentlichkeit gemäß § 3 (1) BauGB
Aufstellungsbeschluss gemäß § 2 (1) BauGB
Die Gemeindevertretung hat die Aufstellung des o.g. Planes beschlossen. Die Grenzen des Geltungsbereiches sind aus nachfolgender Abbildung ersichtlich.
Die Flächen des Geltungsbereiches liegen südlich der Kreisstraße K32. Der östliche Geltungsbereichsrand liegt im Mittel rd. 220 m von der Bundesstraße B253 entfernt. Die südliche Grenze bildet ein landwirtschaftlicher Weg (Flurstück 184). Der westliche Geltungsbereichsrand grenzt zu etwa 50 % an einen weiteren landwirtschaftlichen Weg (Flurstück 103) sowie an das Flurstück 176, welches mit einer landwirtschaftlich genutzten Halle bebaut ist, an.
Allgemeine Ziele und Zwecke
Auf der Fläche soll eine Agri-Photovoltaikanlage errichtet werden. Agri-PV-Anlagen zeichnen sich durch die Doppelnutzung „Landwirtschaft/PV-Anlage“ aus, da sie entweder in Senkrechtaufstellung oder mit einem hohen Abstand zur Geländeoberfläche errichtet werden.
Die vorgesehene Anlage ist in Senkrechtaufstellung vorgesehen und schränkt die seit vielen Jahren vorhandene Nutzung „Freiland-Hühneranlage“ nicht ein, welche auch weiter betrieben werden soll.
Da es sich bei der Photovoltaikanlage um keine Baumaßnahme handelt, die gemäß § 35 BauGB im Außenbereich zulässig ist, muss ein Bebauungsplan mit Festsetzung eines Sondergebietes „Agri-Photovoltaik“ aufgestellt werden.
Der Bebauungsplan schafft daher die planungsrechtlichen Voraussetzungen.
Beteiligung der Öffentlichkeit gemäß § 3 (1) BauGB
Die Unterrichtung über die allgemeinen Ziele und Zwecke der Planung und der voraussichtlichen Auswirkungen erfolgt in der Zeit vom 27.03.2023 bis einschließlich 07.04.2023 während der Öffnungszeiten im Raum E.05 des Rathauses, Nassauer Straße 11, 35713 Eschenburg. Während dieses Zeitraumes hat die Öffentlichkeit auch Gelegenheit zur Äußerung und Erörterung, auch im Hinblick auf den erforderlichen Umfang und Detaillierungsgrad der Umweltprüfung nach § 2 (4) BauGB.
Ein Besuch im Rathaus ist zurzeit nur nach vorheriger Terminabsprache (Tel.: 02774-915108) im Allgemeinen während der Öffnungszeiten möglich.
Die Öffnungszeiten des Rathauses sind:
Montag bis Freitag: 8:30 Uhr – 12:00 Uhr
Montag: 14:00 Uhr – 16:30 Uhr
Dienstag und Donnerstag: 14:00 Uhr – 15:30 Uhr
Außerhalb dieser Zeiten können auch mit den jeweiligen Sachbearbeitern Termine vereinbart werden.
Die Öffentlichkeit kann sich informieren und durch Wünsche und Anregungen die Planung beeinflussen. Die eingehenden Stellungnahmen werden ausgewertet und in nicht-öffentlichen und öffentlichen Sitzungen beraten. Die Verarbeitung der personenbezogenen Daten erfolgt nur im Rahmen des Planungsprozesses und im Übrigen unter Beachtung der Datenschutzverordnung. Es wird darauf hingewiesen, dass ein Planungsbüro mit der Durchführung des Verfahrens beauftragt wurde.
Eschenburg, den 23.03.2023
Der Gemeindevorstand der Gemeinde Eschenburg
gez. Konrad,
Bürgermeister
Flächennutzungsplan-Änderung „Photovoltaikanlage Schiebelacker“, Gemarkung Roth
Aufstellungsbeschluss gemäß § 2 (1) Baugesetzbuch (BauGB)
Allgemeine Ziele und Zwecke
Beteiligung der Öffentlichkeit gemäß § 3 (1) BauGB
Aufstellungsbeschluss gemäß § 2 (1) BauGB
Die Gemeindevertretung hat die Aufstellung des o.g. Planes beschlossen. Die Grenzen des Geltungsbereiches sind aus nachfolgender Abbildung ersichtlich.
Die Flächen des Geltungsbereiches liegen südlich der Kreisstraße K32. Der östliche Geltungsbereichsrand liegt im Mittel rd. 220 m von der Bundesstraße B253 entfernt. Die südliche Grenze bildet ein landwirtschaftlicher Weg (Flurstück 184). Der westliche Geltungsbereichsrand grenzt zu etwa 50 % an einen weiteren landwirtschaftlichen Weg (Flurstück 103) sowie an das Flurstück 176, welches mit einer landwirtschaftlich genutzten Halle bebaut ist, an.
Allgemeine Ziele und Zwecke
Auf der Fläche soll eine Agri-Photovoltaikanlage errichtet werden. Agri-PV-Anlagen zeichnen sich durch die Doppelnutzung „Landwirtschaft/PV-Anlage“ aus, da sie entweder in Senkrechtaufstellung oder mit einem hohen Abstand zur Geländeoberfläche errichtet werden. Die vorgesehene Anlage ist in Senkrechtaufstellung vorgesehen und schränkt die seit vielen Jahren vorhandene Nutzung „Freiland-Hühneranlage“ nicht ein, welche auch weiter betrieben werden soll.
Da die Fläche im rechtswirksamen Flächennutzungsplan als landwirtschaftliche Fläche und als Ausgleichsfläche dargestellt ist, muss eine Änderung des Flächennutzungsplanes mit Ausweisung einer Photovoltaikanlage bearbeitet werden. Aus dieser Flächennutzungsplan-Änderung kann dann der ebenfalls erforderliche Bebauungsplan mit Festsetzung eines Sondergebietes „Agri-Photovoltaik“ entwickelt werden.
Beteiligung der Öffentlichkeit gemäß § 3 (1) BauGB
Die Unterrichtung über die allgemeinen Ziele und Zwecke der Planung und der voraussichtlichen Auswirkungen erfolgt in der Zeit vom 27.03.2023 bis einschließlich 07.04.2023 während der Öffnungszeiten im Raum E.05 des Rathauses, Nassauer Straße 11, 35713 Eschenburg. Während dieses Zeitraumes hat die Öffentlichkeit auch Gelegenheit zur Äußerung und Erörterung, auch im Hinblick auf den erforderlichen Umfang und Detaillierungsgrad der Umweltprüfung nach § 2 (4) BauGB.
Ein Besuch im Rathaus ist zurzeit nur nach vorheriger Terminabsprache (Tel.: 02774-915108) im Allgemeinen während der Öffnungszeiten möglich.
Die Öffnungszeiten des Rathauses sind:
Montag bis Freitag: 8:30 Uhr – 12:00 Uhr
Montag: 14:00 Uhr – 16:30 Uhr
Dienstag und Donnerstag: 14:00 Uhr – 15:30 Uhr
Außerhalb dieser Zeiten können auch mit den jeweiligen Sachbearbeitern Termine vereinbart werden. Die Öffentlichkeit kann sich informieren und durch Wünsche und Anregungen die Planung beeinflussen. Die eingehenden Stellungnahmen werden ausgewertet und in nicht-öffentlichen und öffentlichen Sitzungen beraten. Die Verarbeitung der personenbezogenen Daten erfolgt nur im Rahmen des Planungsprozesses und im Übrigen unter Beachtung der Datenschutzverordnung.
Es wird darauf hingewiesen, dass ein Planungsbüro mit der Durchführung des Verfahrens beauftragt wurde.
Eschenburg, den 23.03.2023
Der Gemeindevorstand der Gemeinde Eschenburg
gez. Konrad,
Bürgermeister
Neugestaltung der Nahversorgung – Bekanntmachung des Aufstellungsbeschlusses zur Änderung des Bebauungsplanes „Im Seifen“ in der Gemarkung Eschenburg, Ortsteil Wissenbach
Die Gemeindevertretung der Gemeinde Eschenburg hat in ihrer öffentlichen Sitzung am 17.11.2022 gem. § 2 Abs. 1 BauGB die Aufstellung zur Änderung des Bebauungsplanes „Im Seifen“ in der Gemarkung Eschenburg, Ortsteil Wissenbach beschlossen. Mit der Änderung des Bebauungsplanes sollen die planungsrechtlichen Voraussetzungen für die Neugestaltung der Nahversorgung in Form eines Lebensmittelvollsortimenters (rd. 1.600 qm Verkaufsfläche), eines Lebensmitteldiscounters (rd. 1.100 qm Verkaufsfläche) und eines Drogeriemarktes (rd. 800 qm Verkaufsfläche) geschaffen werden.
Der Geltungsbereich ist der nachfolgenden Übersichtskarte zu entnehmen. Im Rahmen der weiteren Planung können sich jedoch noch Änderungen ergeben (z.B. durch Ausgleichsflächen und Abstimmungen mit dem RP Gießen, etc.).
Räumlicher Geltungsbereich (vorläufig, Änderung im Planungsprozess sind möglich)

Die Gemeindeverwaltung in Zusammenarbeit mit dem Planungsbüro wird zur Durchführung der frühzeitigen Unterrichtung der Öffentlichkeit und der Behörden gemäß § 3 Abs. 1 und § 4 Abs. 1 BauGB u.a. zur Einholung der umweltrelevanten Stellungnahmen beauftragt.
Aufgrund der Vorabstimmungen mit dem Regierungspräsidium Gießen wird ein Abweichungsverfahren von den Zielen der Raumordnung und Landesplanung erforderlich. Die Gemeindeverwaltung in Zusammenarbeit mit dem Planungsbüro wird beauftragt einen entsprechenden Antrag zu erarbeiten und einzureichen.
Bekanntmachung Aufstellungsbeschluss Änderung Bebauungsplan Im Seifen Homepage
Geltungsbereich Aufstellungsbeschluss Änderung BPlan Im Seifen, Wissenbach
Eschenburg, den 18.11.2022
Der Gemeindevorstand der Gemeinde Eschenburg
gez. Konrad
Bürgermeister
Bekanntmachung des Aufstellungsbeschlusses für den Bebauungsplan „Auf dem Löhchen“ in der Gemarkung Eschenburg, Ortsteil Hirzenhain-Ort
Die Gemeindevertretung der Gemeinde Eschenburg hat in ihrer öffentlichen Sitzung am 17.11.2022 gem. § 2 BauGB die Aufstellung des Bebauungsplanes „Auf dem Löhchen“ in der Gemarkung Eschenburg, Ortsteil Hirzenhain-Ort nach § 13 a BauGB beschlossen. Der räumliche Geltungsbereich des Bebauungsplanes ist der nachfolgenden Übersichtskarte zu entnehmen.

Die Aufstellung des Bebauungsplanes erfolgt als Bebauungsplan der Innenentwicklung im beschleunigten Verfahren nach § 13 a BauGB. Gemäß § 13 a Abs. 3 BauGB wird im beschleunigten Verfahren von der Umweltprüfung nach § 2 Abs. 4 BauGB abgesehen. Das Plangebiet soll gem. § 4 BauNVO als allgemeines Wohngebiet (WA) ausgewiesen werden.
Bekanntmachung Aufstellungsbeschluss Bebauungsplan Auf dem Löhchen Homepage
Aufstellungsbeschluss Bebauungsplan Auf dem Löhchen Liegenschaftsauszug
Eschenburg, den 18.11.2022
Der Gemeindevorstand der Gemeinde Eschenburg
gez. Konrad
Bürgermeister
Bekanntmachung des Aufstellungsbeschlusses für den Bebauungsplan „Stietefeld“ in der Gemarkung Eschenburg, Ortsteil Roth
Die Gemeindevertretung der Gemeinde Eschenburg hat in ihrer öffentlichen Sitzung am 06.10.2022 gem. § 2 BauGB die Aufstellung des Bebauungsplanes „Stietefeld“ in der Gemarkung Eschenburg, Ortsteil Roth nach § 13 b BauGB beschlossen. Der räumliche Geltungsbereich des Bebauungsplanes ist der nachfolgenden Übersichtskarte zu entnehmen.

Die Aufstellung des Bebauungsplanes erfolgt nach § 13 b BauGB, der für die Einbeziehung von Außenbereichsflächen das Verfahren nach § 13 a BauGB ohne die Durchführung einer Umweltprüfung nach § 2 Abs. 4 BauGB und die Anwendung des beschleunigten Verfahrens nach § 13 a Abs. 2 BauGB vorsieht. Das Plangebiet soll gem. § 4 BauNVO als allgemeines Wohngebiet (WA) ausgewiesen werden.
Veröffentlichung Homepage Aufstellungsbeschluss Stietefeld
Aufstellungsbeschluss Bebauungsplan Stietefeld OT Roth Liegenschaftsauszug
Eschenburg, den 07.10.2022
Der Gemeindevorstand der Gemeinde Eschenburg
gez. Konrad
Bürgermeister
Bekanntmachung des Aufstellungsbeschlusses für den Bebauungsplan „Auf den Zäun“ in der Gemarkung Eschenburg, Ortsteil Eiershausen
Die Gemeindevertretung der Gemeinde Eschenburg hat in ihrer öffentlichen Sitzung am 06.10.2022 gem. § 2 BauGB die Aufstellung des Bebauungsplanes „Auf den Zäun“ in der Gemarkung Eschenburg, Ortsteil Eiershausen nach § 13 b BauGB beschlossen. Der räumliche Geltungsbereich des Bebauungsplanes ist der nachfolgenden Übersichtskarte zu entnehmen.

Die Aufstellung des Bebauungsplanes erfolgt nach § 13 b BauGB, der für die Einbeziehung von Außenbereichsflächen das Verfahren nach § 13 a BauGB ohne die Durchführung einer Umweltprüfung nach § 2 Abs. 4 BauGB und die Anwendung des beschleunigten Verfahrens nach § 13 a Abs. 2 BauGB vorsieht. Das Plangebiet soll gem. § 4 BauNVO als allgemeines Wohngebiet (WA) ausgewiesen werden.
Veröffentlichung Homepage Aufstellungsbeschluss Auf den Zäun
Aufstellungsbeschluss Bebauungsplan Auf den Zäun OT Eiershausen Liegenschaftsauzug
Eschenburg, den 07.10.2022
Der Gemeindevorstand der Gemeinde Eschenburg
gez. Konrad
Bürgermeister
Bekanntmachung des Aufstellungsbeschlusses für den Bebauungsplan „In der Hager“ in der Gemarkung Eschenburg, Ortsteil Wissenbach
Die Gemeindevertretung der Gemeinde Eschenburg hat in ihrer öffentlichen Sitzung am 06.10.2022 gem. § 2 BauGB die Aufstellung des Bebauungsplanes „In der Hager“ in der Gemarkung Eschenburg, Ortsteil Wissenbach nach § 13 b BauGB beschlossen. Der räumliche Geltungsbereich des Bebauungsplanes ist der nachfolgenden Übersichtskarte zu entnehmen.

Die Aufstellung des Bebauungsplanes erfolgt nach § 13 b BauGB, der für die Einbeziehung von Außenbereichsflächen das Verfahren nach § 13 a BauGB ohne die Durchführung einer Umweltprüfung nach § 2 Abs. 4 BauGB und die Anwendung des beschleunigten Verfahrens nach § 13 a Abs. 2 BauGB vorsieht. Das Plangebiet soll gem. § 4 BauNVO als allgemeines Wohngebiet (WA) ausgewiesen werden.
Aufstellungsbeschluss Bebauungsplan In der Hager, OT Wissenbach 3 Liegenschaftsauszug
Veröffentlichung Homepage Aufstellungsbeschluss In der Hager
Eschenburg, den 07.10.2022
Der Gemeindevorstand der Gemeinde Eschenburg
gez. Konrad
Bürgermeister
Bekanntmachung des Aufstellungsbeschlusses für den Bebauungsplan „Berliner Straße/Königsberger Straße“ in der Gemarkung Eschenburg, Ortsteil Eibelshausen
Die Gemeindevertretung der Gemeinde Eschenburg hat in ihrer öffentlichen Sitzung am 21.07.2022 gem. § 2 BauGB die Aufstellung des Bebauungsplanes „Berliner Straße/Königsberger Straße“ in der Gemarkung Eschenburg, Ortsteil Eibelshausen nach § 13 b BauGB beschlossen. Der räumliche Geltungsbereich des Bebauungsplanes ist der nachfolgenden Übersichtskarte zu entnehmen.

(Abb.: 220722_Aufstellungsbeschluss)
Die Aufstellung des Bebauungsplanes erfolgt nach § 13 b BauGB, der für die Einbeziehung von Außenbereichsflächen das Verfahren nach § 13 a BauGB ohne die Durchführung einer Umweltprüfung nach § 2 Abs. 4 BauGB und die Anwendung des beschleunigten Verfahrens nach § 13 a Abs. 2 BauGB vorsieht. Das Plangebiet soll gem. § 4 BauNVO als allgemeines Wohngebiet (WA) ausgewiesen werden.
Die bereits gültigen Bebauungspläne der Gemeinde Eschenburg können Sie hier einsehen.







